Ordinary Meeting
Meeting Date: Tuesday, 13 May, 2025
Location: Council Chambers, City Administrative Building, Bridge Road, Nowra
Time: 5.30pm
Membership (Quorum – 7)
Clr Patricia White – Mayor
Ward 1 Ward 2 Ward 3
Clr Jason Cox Clr Ben Krikstolaitis Clr Denise Kemp
Clr Matthew Norris - Assist. Deput Mayor Clr Bob Proudfoot Clr Gillian Boyd
Clr Peter Wilkins - Deputy Mayor Clr Jemma Tribe Clr Karlee Dunn
Clr Selena Clancy Clr Luciano Casmiri Clr Natalee Johnston
Shoalhaven City Council live streams its Ordinary Council Meetings and Extra Ordinary Meetings. These can be viewed at the following link
https://www.shoalhaven.nsw.gov.au/Council/Meetings/Stream-a-Council-Meeting.
Statement of Ethical Obligations
The Mayor and Councillors are reminded that they remain bound by the Oath/Affirmation of Office made at the start of the council term to undertake their civic duties in the best interests of the people of Shoalhaven City and to faithfully and impartially carry out the functions, powers, authorities and discretions vested in them under the Local Government Act or any other Act, to the best of their skill and judgement.
The Mayor and Councillors are also reminded of the requirement for disclosure of conflicts of interest in relation to items listed for consideration on the Agenda or which are considered at this meeting in accordance with the Code of Conduct and Code of Meeting Practice.
Agenda
1. Acknowledgement of Country
Walawaani (welcome),
Shoalhaven City Council recognises the First Peoples of the Shoalhaven and their ongoing connection to culture and country. We acknowledge Aboriginal people as the Traditional Owners, Custodians and Lore Keepers of the world’s oldest living culture and pay respects to their Elders past, present and emerging.
Walawaani njindiwan (safe journey to you all)
Disclaimer: Shoalhaven City Council acknowledges and understands there are many diverse languages spoken within the Shoalhaven and many different opinions.
2. Moment of Silence and Reflection
3. Australian National Anthem
4. Apologies / Leave of Absence
5. Confirmation of Minutes
· Ordinary Meeting - 29 April 2025
6. Declaration of Interests
7. Presentation of Petitions
8. Mayoral Minute
Mayoral Minute
MM25.7....... Mayoral Minute - Federal Election Results 2025........................................... 1
MM25.8....... Mayoral Minute - Surf Lifesaving NSW.......................................................... 2
9. Deputations and Presentations
10. Notices of Motion / Questions on Notice
Notices of Motion / Questions on Notice
CL25.140..... Notice of Motion - Reinstatement of the Central Blenheim Beach Access... 4
CL25.141..... Notice of Motion - Huskisson & Vincentia - Dog Off Leash times................. 6
CL25.142..... Notice of Motion - Publishing of Culburra Beach/Orient Point Drain Clearing Schedule........................................................................................................................ 8
CL25.143..... Notice of Motion - National Emergency Management Agency (NEMA)...... 10
11. Call Over of the Business Paper
12. A Committee of the Whole (if necessary)
13. Committee Reports
Nil
14. Reports
CEO
CL25.144..... Response to Notice of Motion - Display contact details for Community Service Clubs...................................................................................................................... 12
City Performance
CL25.145..... Proposal to Rename Portion of Susan Street Vincentia - Road Name Recommendation......................................................................................... 16
City Services
CL25.146..... Proposed New Lease to Millhouse Art Society - Shops 4 & 5, 69 Princes Highway, Milton............................................................................................................ 20
CL25.147..... Proposed Road Closure and Classification of Land - Milton Bushfire Station - Croobyar Road and Woodstock Road, Milton............................................. 24
CL25.148..... Proposed New Licence - Part No.5 Birriley Street, Bomaderry................... 27
City Development
CL25.149..... Community Consultative Body Activity Report January 2024 - December 2024 31
CL25.150..... Report to NoM - CL25.29 - Ongoing Maintenance of Vegetation at Collingwood Beach...................................................................................................................... 36
CL25.151..... Report to NoM - CL24.387 - Revegetation of Foreshore Areas - Community Concerns...................................................................................................................... 42
CL25.152..... Post exhibition report - Planning Proposal: 131 St Vincent Street, Ulladulla 49
CL25.153..... Exhibition Outcomes and Proposed Finalisation - Draft Shoalhaven Community Participation Plan 2025................................................................................ 64
CL25.154..... Proposed Amendment - Executed Voluntary Planning Agreement - Dedication of Land to include a Maintenance Contribution - Suncrest Ave, Sussex Inlet. 77
Shoalhaven Water
CL25.155..... Shoalhaven Water Rebate Policies.............................................................. 82
CL25.156..... Submission Response - Policy - Water & Sewer Headworks Charges (Section 64 Contributions) Assistance for Developments............................................... 84
Nil
|
|
Ordinary Meeting – Tuesday 13 May 2025 Page 0 |
MM25.7 Mayoral Minute - Federal Election Results 2025
HPERM Ref: D25/199998
|
That: 1. Council write to congratulate the newly elected Federal Member for Gilmore, Mrs Fiona Phillips MP and extend an invitation to meet Council’s elected body and executive leadership team. 2. Council recognise and thank all the Federal Election Candidates for their pledges of support to the Shoalhaven made during their Gilmore election campaigns.
|
Details
Council extends congratulations to Mrs Fiona Phillips MP in securing the seat of Gilmore for a third (consecutive) term in the recent Federal Election held on 3 May 2025.
Council is looking forward to working with Fiona and continuing the very collegial and fruitful relationship that has formed ocer the past six years and would like to take the opportunity to thank Fiona for her support, advocacy and tireless efforts in serving the Shoalhaven community during that time and we look forward to building on this momentum as we work together into the future.
It is acknowledged that Gilmore is a marginal seat and there were many pledges and election promises from the candidates in support of the Shoalhaven. We would like to extend our appreciation to all the candidates who ran for the seat of Gilmore for their show of support during the campaign and (in order of the ballot draw) we specificall thank; Fiona Phillips, Kate Dezarnaulds, Melissa Wise, Debbe Killian, Graham Brown, Andrew Constance, John Hawle and Adrian Carle.
Shoalhaven City Council’s Advocacy Document was shared with the candidates prior to the election to highlight our key prioriities, raise the profile of the Shoalhaven and attract more funding to the Shoalhaven portion of Gilmore. It is pleasing to see that a number of projects outlined in the document have attracted positive attention, we look forward to working with Fiona and the Federal Government to bring these key projects to fruitition. More information on Council’s Advocacy Document can be found here: Council advocates for city-shaping projects | Shoalhaven City Council
|
|
Ordinary Meeting – Tuesday 13 May 2025 Page 0 |
MM25.8 Mayoral Minute - Surf Lifesaving NSW
HPERM Ref: D25/200500
Attachments: 1. Update from Surf Life Saving NSW - Recent Tragic Coastal Incidents - 28 April 2025 ⇩
|
That Council notes the correspondence from Surf Lifesaving NSW dated 28 April 2025 outlinging the recent tragic coastal incidents and writes in acknolwedgement of the efforts of lifesavers during this horrific period.
|
Details
Council received the attached correspondence on 28 April 2025 from Surf Lifesaving NSW Chief Executive Officer Mr Steven Peare AFSM and Presidnet / Chairperson Mr Peter Agnew AM informing council of spate of tragic incidents along the coast throughout the 2025 Easter Long Weekend.
It is believed that the combination of hot weather and unusually rough surf conditions that aligned over the long weekend led to a total of 6 coastal drownings and 1 coast death, which has been recorded as being “the worst drowning period in NSW histroy for an Easter Holiday period.”
Council recognises the heavy strain that these conditions would have placed on both SLSNSW professional lifeguards, volunteer surf lifesaving rescue crews and the Westpac Lifesaver Helicopter personnel, and commends them on an incredible effort in very trying conditions.
With over 100 beaches in our LGA, this notice serves as a timely reminder to both residents and visitors to be careful and considered when enjoying recreational activities in our waterways.
To the 21000 frontline volunteer surf lifesavers, SLSNSW professional lifeguards, rescue helicopter personnel and the broarder emergency services personnel we thank you for your efforts in keeping our communties safe.
|
|
Ordinary Meeting – Tuesday 13 May 2025 Page 0 |
CL25.140 Notice of Motion - Reinstatement of the Central Blenheim Beach Access
HPERM Ref: D25/193393
Submitted by: Clr Luciano Casmiri
Purpose / Summary
The following Notice of Motion, of which due notice has been given, is submitted for Council’s consideration.
|
That Council reinstate and make safe the access way to Blenheim Beach recently closed by Council. |
Background
Local Historians believe this access has been in continuous use for over a hundred years, and as such a public right to use the access now exists. Additionally, the beach is a safe haven for residents to use during extreme bushfire events which have occurred. Furthermore, there are road safety issues about local residents walking to other Blenheim Beach accesses.
Note by the CEO
The subject Blenheim Beach access track has been continually damaged for a number of years as a result of stormwater runoff erosion affecting its function and impacting on public safety. Permanent closure and decommissioning of the track occurred as a result of the following decision-making procedures which involved critical evaluation, consultation and appropriate Council endorsement.
In 2021, Council completed an asset management project, which involved engagement of specialist coastal engineering consultants to complete an investigation of beach access assets to inform their ongoing management. Approximately 250 beach access tracks were assessed across the Shoalhaven through delivery of this grant funded project. The consultant used a multi-criteria analysis to assess the condition of each beach access track on a location-by-location basis. The criteria for assessing the beach access tracks included consideration of:
· the number of beach access tracks available per linear distance in each locality (beach).
· the location of the beach access tracks in relation to key local amenities and accessibility to high-use areas, such as carparking or local urban areas.
· the safety of beach access tracks based on the site assessments.
· the impacts on the environment associated with each beach access track based on site observations and factors including the positioning and orientation with respect to local winds, susceptibility to erosion, and other coastal processes.
Based on this assessment, the consultant provided recommendations that identified proposed actions for maintenance, repair, upgrade, or closure of Council managed beach access tracks.
During development of Councils Coastal Management Program (CMP) for the Open Coast and Jervis Bay, adopted by Council and certified by the NSW State Government in September 2024, Council undertook critical and extensive community consultation. Between August and October 2022, Council exhibited the proposed management actions of the CMP, which included the proposed beach access management framework (the recommendations from the beach asset management project). Based on contemporary condition assessment undertaken by Council staff, and in consideration of the CMP consultation outcomes, a consolidated list of those beach access tracks proposed for closure was developed.
In 2023, a report recommended 12 tracks for closure (noting this formed only a minor proportion of the 46 tracks initially proposed for closure through the asset management project). The permanent closure and decommissioning of the subject Blenheim Beach access was endorsed by Council (CL23.246/ MIN23.406).
As part of the certified and gazetted Open Coast and Jervis Bay CMP, Council is in the process of implementing actions.
Alternate public beach access is available to Blenheim Beach from the primary parking area to the north and will continue to be managed by Council. Where access to the beach is sought from overflow parking along Elizabeth Drive and through the service trail opposite 441 Elizabeth Drive, users will be required to continue along White Sands Walk (the managed bush walking track) approximately 100m northward to the beach access point from the primary car park area.
Closure of the track will help reduce erosion and sediment deposition into nearby waterways and allow improved overall beach accessibility in the Shoalhaven area via enabling appropriate distribution of management and budgeting resources across the asset class. The closure of this track aligns with the medium to long term financial plan where improvements to assets are rationalised to improve the overall quality of access to all beaches we manage across the Shoalhaven. Staff do not recommend use of the now decommissioned beach access track as such informal use is considered unsafe as condition is not managed to pedestrian use standard.
|
|
Ordinary Meeting – Tuesday 13 May 2025 Page 0 |
CL25.141 Notice of Motion - Huskisson & Vincentia - Dog Off Leash times
HPERM Ref: D25/198863
Submitted by: Clr Luciano Casmiri
Purpose / Summary
The following Notice of Motion, of which due notice has been given, is submitted for Council’s consideration.
|
That Council extend dog off leash time by 1 hour for Huskisson Beach, Huskisson and Nelsons Beach, Vincentia to 9am between 1 Oct - 30 April.
|
Background
Currently, dog off leash hours at these two beaches are:
• 4pm - 8am - 1 Oct - 30 April,
• 3pm - 10am - 1 May - 30 Sept.
I propose the modest change to off leash times to give dog owners one hour of additional time in the morning, up until 9am (between 1 October and 30 April) to enjoy off leash exercise with their dogs.
Beaches where dogs are prohibited in Huskisson Vincentia area include:
1) Shark Net Beach (dogs prohibited outright)
2) Collingwood Beach (dogs prohibited outright)
3) Blenheim Beach (dogs prohibited outright)
4) Greenfield Beach (dogs prohibited outright).
Beaches where dogs must be leashed at all times in the Huskisson / Vincentia area include:
1) Orion Beach (dogs on leash only).
2) Barfleur Beach (dogs on leash only)
This modest change to dog off leash hours for Huskisson Beach and Nelsons Beach is a reasonable request noting that no dogs will be permitted off leash after 9am in the morning during the 1 Oct – 30 April period.
Note by the CEO
In accordance with Part 5 of the Environmental Planning and Assessment Act 1979 (NSW, EP&A Act), when considering changes to designated dog access areas (such as dog off-leash areas), Council must examine and take into account to the fullest extent possible all matters affecting or likely to affect the environment.
In accordance with section 171 of the Environmental Planning and Assessment Regulation 2021 (NSW, EP&A Regulation), when considering the likely impact of an activity (such as proposed change to a dog off-leash area likely to result in an increase / intensification of that use) on the environment, the determining authority (Council) must consider certain environmental factors (ref. subsection 2).
To comply with the EP&A Act and EP&A Regulation, Council must prepare a review of environmental factors that demonstrates how the environmental factors specified in subsection (2) were taken into account when considering the likely impact of approving an intensification (increase) to a designated dog off-leash area.
In accordance with MIN22.298, MIN23.61, and MIN23.740, reviews of environmental factors have been completed for Huskisson Beach and Nelsons Beach.
These reviews were prepared based on the following description of the proposed activity:
Provision of a dog off-leash access area with restricted times, where dogs can be off-leash during off-peak times (1 October to 30 April from 4 pm to 8 am; 1 May to 30 September from 3 pm to 10 am) to limit impacts on other beach users and recreational activities.
It is therefore recommended this matter be referred to the Acting CEO to enable the reviews of environmental factors for these locations to be updated based on the following revised definition of the proposed activity:
Provision of a dog off-leash access area with restricted times, where dogs can be off-leash during off-peak times (1 October to 30 April from 4 pm to 9 am; 1 May to 30 September from 3 pm to 10 am) to limit impacts on other beach users and recreational activities.
|
|
Ordinary Meeting – Tuesday 13 May 2025 Page 0 |
CL25.142 Notice of Motion - Publishing of Culburra Beach/Orient Point Drain Clearing Schedule
HPERM Ref: D25/186652
Submitted by: Clr Jemma Tribe
Purpose / Summary
The following Notice of Motion, of which due notice has been given, is submitted for Council’s consideration.
|
That Council instructs the Acting CEO to: 1. Ensure a schedule of drain clearing works is planned for 4x per year, scheduled and published on Councils website 2. Require relevant council engineers and planners to meet with CBOP CCB flooding subcommittee to discuss long term strategic solutions and allow them to present photos/evidence of flooding hotspots/impact 3. Following the meeting, inspect vegetation on Council owned vacant lots and ensure vegetation undergrowth is cleared/maintained 4. Inspect existing pipes and identify any that require replacement in the Culburra/Orient Point region 5. Consider potential grant sources to assist long term solutions such as drain and pipeline upgrades |
Background
The Culburra Beach area was hit hard by flooding in April this year. Residents home have been inundated, some with raw sewerage – attracting ample media coverage.
This problem is not new. At the recent Culburra Beach Orient Point CCB Meeting, residents shared horrific stories of their lived experience over many years.
One resident told of being woken up by emergency responders 2 years ago, when they were sent to evacuate her at 3:30am as ankle deep water flooded her home. Living in a unit complex, the residents used shared building funds to carry out remedial works and investigation. They spent $15,000 and while they managed to clear some drains, they were allegedly told that Council pipes contained tree roots that need to be removed to alleviate the issues further.
In the most recent flooding events, some residents have been displaced from their homes and the community is seeking solutions.
Drain clearing is an important part of the solution. Residents would appreciate a schedule of drain clearing works being published to provide peace of mind and transparency.
Residents say the non-clearing of undergrowth on Council owned vacant lots - blocking open drains, is also contributing to flooding issues. 157 Prince Edward Ave is reportedly a bottleneck for drainage for example as is Addison Road and East Crescent. As such it is requested that an Engineer engage with the CCB on inspecting these sites.
Note by the CEO
Council maintains the open stormwater drains in Culburra Beach on an annual cycle, ensuring compliance with environmental constraints unique to the region. The next maintenance cycle was scheduled to begin on 5 May, weather permitting.
Council is adequately resourced to respond to rain events but acknowledges that some low-lying areas are naturally prone to water inundation following intense downpours. Council Technical Services team have initiated a review of the overarching drainage system in this area to determine if improvements can be achieved.
In regard to the sewer inundation reference, 2 properties were impacted by sewer surcharging because of flood water, non-compliant internal plumbing and illegal stormwater connections from upstream properties. Shoalhaven Water staff are continuing to investigate these issues to reduce the potential and to protect the system from inundation during heavy rainfall events. Smoke testing of the sewer system is currently underway.
|
|
Ordinary Meeting – Tuesday 13 May 2025 Page 0 |
CL25.143 Notice of Motion - National Emergency Management Agency (NEMA)
HPERM Ref: D25/195661
Submitted by: Clr Jemma Tribe
Purpose / Summary
The following Notice of Motion, of which due notice has been given, is submitted for Council’s consideration.
|
That Council instruct the A/CEO: 1. to apply for a grant from the federal agency NEMA - The National Emergency Management Agency – to investigate, scope out works and carry out the necessary drainage infrastructure upgrade to Culburra Beach and Orient Point. 2. the above Council application to NEMA be prioritised and considered a matter of urgency. 3. to collaborate with the CBOP CCB Water Management Sub-committee and residents and ratepayers of Culburra Beach on this grant application to ensure that they are fully apprised of the ongoing status of the grant and the infrastructure works.
|
Background
Culburra Beach has significantly expanded over the last 20 years. Starting out as holiday shacks spread along 2 dirt roads it has grown to a town comprising of 3,600 permanent residents and a population influx of 12,000 people during peak holiday periods. Drainage and sewerage infrastructure has not kept up with this growth. The CBOPCF CCB received 27 reports of flooding on their properties during the most recent flooding event that occurred on April 22, 2025, as a result of rainfall occurring over a 24-hour period.
The CCB Water Management Subcommittee has also received correspondence between residents and council regarding the failure of drainage infrastructure, dating back to more than 2 decades. One resident submitted a letter from her insurance company stating that due to the lack of adequate drainage infrastructure, they would “no longer insure their house and contents as of May 30th when the policy expires”. This constitutes ample evidence that water management in Culburra Beach and Orient Point is a systemic issue that requires a long-term solution.
The people of Culburra request that Shoalhaven Council assist in implementing this urgent long-term solution via federal and state government sources of funding.
Note by the CEO
The appropriate grant funding program managed by NEMA would be the Disaster Ready Fund. Applications for Round 3 have closed. If and when Round 4 (expected next year) opens, an application can be made for a study to review Councils drainage infrastructure in Culburra Beach making reference to the flooding impacts of the Shoalhaven River and Lake Wollumboola and make recommendations on the scope of any improvements to the drainage infrastructure network. Once this study is complete Council would be in the position to apply for design and construction funding. It should be noted that previous rounds of the Disaster Ready Fund have required a 50% co-contribution from Council. Due to Council’s current financial constraints, Council would likely have to request a waiver from NEMA of its financial contribution.
|
|
Ordinary Meeting – Tuesday 13 May 2025 Page 0 |
CL25.144 Response to Notice of Motion - Display contact details for Community Service Clubs
HPERM Ref: D25/120045
Department: Government Relations, Strategy & Advocacy
Approver: James Ruprai, Acting CEO
Purpose:
This report is to provide a detailed response to the Notice of Motion (CL24.362), including our research and recommendation. We are seeking approval to proceed with the preferred recommendation.
Summary and Key Points for Consideration:
Responding to CL24.362: That the Acting CEO (or delegate) review options for information on Community Service Clubs that would appear on a public contact board, and:
1. Assess different publicly visible and contemporary options to display contact details for Community Services Clubs.
2. Develop potential costings for the options assessed.
3. Present findings to Councillors at a future briefing session with a view to developing a preferred option and undertaking community consultation.
Investigations into the options for promotion of Community Service Club information included:
· Option 1 – Community Information Hubs (digital screens)
o Utilising exisiting infrastructure in the form of Council’s 26 digital Community Information Hub screens that are installed at locations across the Shoalhaven.
· Option 2 – Community group online registry
o Exploring the option to have a central location on Council’s website where community groups are encouraged to promote themselves and provide their contact information.
· Option 3 – Welcome signage
o Physical signage at the entrance to a town that displays local service clubs and contact information for relevant community groups in the area.
|
The Community Information Hubs be utilised for the promotion of Community Service Club contact details and information as the most financially prudent option available.
|
Options
1. As recommended – utilise the exisiting Community Information Hubs
Implications: The Media and Communications team is responsible for triaging community service club requests and uploading to the screens.
2. Community group online registry
Implications: Additional $8,000 per year for the website capability. Ongoing resourcing required to maintain and manage the system.
3. Welcome signage
Implications: Significant financial cost, ongoing maintenance and location considerations.
Background and Supplementary information
Option 1 – Community Information Hubs
The implementation will incur $0 cost due to the existing infrastructure, covering 26 locations across the Shoalhaven. Updates can be made quickly in locations where visitors may pass, such as event venues, showgrounds, community halls and public facilities. However, these locations are not situated at the entrance to any town or village.
Option 2 – Community group online registery
This approach provides community groups and organisations to promote themselves through a web platform that would be hosted on a central platform, such as the Council website. While there would be staff costs associated with managing and approving incoming requests, the additional website cost for clubs to have access to update their information is estimated at $8,000 per year. Other councils who have a similar process include Wingecarribee Shire Council and Bega Valley Council.
Option 3 – Welcome signage
This option would involve the installation of physical signage at the entrance to towns or villages, with interchangeable logos.
Considerations include:
· Defining suitable locations.
· Formulating an eligibility criteria.
· Determining the number of services to be displayed.
· Allocating budget for design, installation and ongoing maintenance.
· Identifying existing promotional signs by service clubs in certain locations.
· Council may not be the sole approval authority for roadside signage.
· Legibility of information while driving.
Cost estimates range from $20,000 to $25,000 per sign, excluding logos ($500 to $1,000 + GST per logo), engineer drawings, other approvals (including TfNSW), and traffic control if required during installation.
There have been discussions about community service clubs funding the design, development, and installation of the signs. However, this approach is not recommended due to the significant financial burden it would place on the clubs and potential inequity for clubs who are unable to afford these ongoing. Additionally, Council resources would be needed to manage the project, raising questions about who would be responsible for ongoing maintenance.
Internal Consultations
Consultation occurred with a Works & Services Manager regarding the cost estimate for the procurement and installation of each welcome sign.
External Consultations
Quotes were receieved from John Hill Signs for the production and installation of the welcome signage and Grancius (our website provider) quoted on the additional website feature (online registery functonality).
Community Consultations
A series of questions were sent to some local Community Service Clubs in the north, central and south of the Shoalhaven LGA, to understand their promotional needs and desires.
From this consultation, it is an action for Council to promote the Community Information Hub screens to the service clubs so that they’re informed of their availability.
|
Bomaderry Nowra Lions Club |
Rotary Nowra |
Apex Club of Milton Ulladulla |
Country Women’s Association, Jervis Bay |
|
|
How do you currently promote your club? |
We have on going local radio communication, carols in the Park, signage at all event we attend. |
We have our social media via FB and IG. We have well signwriting BBQ trailer. |
Primarily list our activities and contact details on Facebook However, we also have listing, ads or signs on: Signage boards at entry to town - top of hill in Ulladulla, Group listing on CommunityConnectSS.com.au, Group listing on Ulladulla.info , Flyers - primarily at our partner Milton IGA about our PLB hire program and other incidental locations or ads. |
Lightboard on the hall Facebook page Local magazine (About Magazine) – free to Jervis |
|
Do you need more signage in your area to raise awareness of your services? |
Yes, this would be very helpful. |
We would be delighted to be able to raise awareness of our services throughout Nowra. |
I am not sure if more printed ads or signage is required but we would gladly be involved |
Yes |
|
Are you aware of our digital Community Information Hub screens in 26 locations across the Shoalhaven? |
I have seen them, but I am unaware of how they work. |
No, we are not aware but would be interested to participate. |
No |
No |
|
Would you be interested in having your clubs contact details on the Council’s website? |
Yes, that would be ok. |
Yes, we would be very happy to add our info. |
Yes |
Yes |
Policy and Statutory Implications
There are no policy implications.
Financial Implications
Funding for option 2 and 3 are not available in the current budget.
Risk Implications
No additional risk implications are identified.
|
|
Ordinary Meeting – Tuesday 13 May 2025 Page 0 |
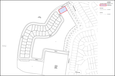
CL25.145 Proposal to Rename Portion of Susan Street Vincentia - Road Name Recommendation
HPERM Ref: D25/144189
Department: Information Services
Approver: Katie Buckman, Director - City Performance
Attachments: 1. Map ⇩
Purpose:
To obtain endorsement of the road name, Caravel Court for the eastern portion of Susan Street, Vincentia as supported by consultation with the community and affected property owners.
Summary and Key Points for Consideration:
Council staff have been investigating the renaming of the eastern portion of Susan St, Vincentia to resolve safety risks to residents. At the Ordinary meeting on held on February 18, 2025, it was resolved (MIN25.46) that Council;
1. Work with residents to identify, from an appropriate short list, a name for the eastern portion of Susan Street, Vincentia.
2. Receive a further report regarding the identified road name for adoption by Council.
Council staff developed a shortlist of road names to support renaming in line with a theme of boat / water. It was determined the existing road naming theme of the area was inappropriate, hence a boat / water theme was chosen that reflected the surrounding environment and had a connection to the recently developed areas of Vincentia. Preliminary checks were carried out with the Geographical Names Board (GNB) to ensure that the new roads were eligible for submission.
Six affected owners in Susan Street were presented with a list of alternative road names and were asked to rank them in order of preference, one (1) being most preferred and six (6) being least preferred. The road names that were presented are listed below:
|
Street Name |
Origin |
|
Caravel Court |
A light sailing ship capable of remarkable speed |
|
Zephyr Place |
A very light westerly wind |
|
Regatta Close |
A boat race or series of races |
|
Luminescence Place |
The emission of light by a substance that has not been heated |
|
Bimini Place |
A waterproof cockpit or deck cover |
|
Bronte Place |
The Dukedom bestowed on Lord Nelson by the King of Sicily in 1799 |
Affected property owners were given until close of business, 21 March 2025 to provide feedback. Six responses were received with the proposed road names being prioritised as per the table below (1 being the most popular name and 6 being the least popular name based on resident feedback).
|
Street Name |
Ranking |
|
Caravel Court |
1 |
|
Regatta Close |
2 |
|
Luminescence Place |
3 |
|
Bimini Place |
4 |
|
Zephyr Place |
5 |
|
Bronte Place |
6 |
|
That Council 1. Determine to proceed with the road name Caravel Court as the preferred option for renaming as supported through consultation with the community and affected property owners. 2. Determine that, in the unforeseen circumstance that the GNB does not approve the first preference, the next preferred road name shall be submitted.
|
Options
1. As recommended.
Implications: It is recommended that the road name Caravel Court be submitted for assessment by the GNB. If approved, the proposal be advertised to the public prior to being adopted.
This recommendation will ensure that Council abides by the GNB guidelines i.e. assigning a separate road name to an unconnected section of the road. This will also provide the opportunity to renumber the properties in this portion of the road to ensure ease of identification for emergency services and resolve any current issues with numbering.
2. Not to proceed with renaming the road.
Implications: Current risks with respect to emergency service identification will remain.
Background and Supplementary information
The map provided as Attachment 1 to the report shows the Eastern portion of Susan Street, Vincentia which is subject to the proposal outlined in this report. There are four (4) residential lots directly affected by the proposal.
The Eastern and Western sides of Susan Street are disconnected by the intersection of Elizabeth Street and a Cul-de-sac on the Western side. The street numbering of Susan Street begins in the Cul-de-sac on the western side, i.e. houses 1 and 2. This means that any development in the eastern section has had to be numbered with a suffix, such as 1A, 1B, 1C, 2A which exacerbates the disconnection issue making the identification of individual properties confusing. Renaming the road will give Council the opportunity to resolve both issues.
This street configuration has been in place for many years. However, more recent infill of blocks in addition to those facing and addressed as Elizabeth Drive has accentuated the situation.
Affected owners have been involved in the consultation process from the beginning. After receiving correspondence asking them to provide their preferences for the shortlisted road names several property owners have expressed their gratitude for being consulted as part of the renaming process.
Internal Consultations
Council’s Property Unit and Technical Services teams have been consulted when the initial enquiry was received. They were in agreeance with Council’s Geographical Information Services (GIS) Team that renaming was necessary based on safety risks posed.
External Consultations
The Geographical Names Board (GNB) were consulted when the initial enquiry was received, at which time it agreed that the name of that portion of road should be changed. Preliminary checks have been carried out with the GNB to ensure the road names are eligible for submission.
Community Consultations
Community consultation has been detailed earlier in this report. As the name Bronte Place had been preapproved by the GNB the Road Naming Proposal was exhibited to the public for the same period provided to the affected owners. No negative feedback was received from the public, other than residents of the affected portion of the road.
The affected owners were consulted after the initial enquiry was received and the Geographical Names Board agreed a change is desirable. Three sets of notifications were sent to affected owners. Negative results were received after all notifications as owners provided suggestions they felt were fitting. Council notified the affected owners a fourth time and presented an internally chosen name, Bronte Place. The owners of three (3) affected properties remain in opposition to the proposed name.
As Council did not support the use of Bronte Place, further consultation with the affected owners has been carried out. A list of alternative names was researched and presented to the owners. The owners provided feedback, and the results indicated that Caravel Court was the most preferred road name.
Policy and Statutory Implications
Currently this road name format does not comply with the NSW Addressing Policy in the following way:
· “NSW Addressing Policy (6.7.7 Road Extents A road name shall apply from one end of the road to the other i.e. the point where the road finishes or intersects with another road or roads. The extent of a named road shall be defined by the formed road and shall include only one section navigable by vehicles or foot. Unconnected navigable sections, such as where separated by an unbridged stream or a physical barrier, shall be assigned separate names.)”
Financial Implications
There are no financial implications for Council other than the prolonged use of resources. The affected owners may be impacted slightly as a change to their property address will lead to having to change their address with several agencies.
Risk Implications
The report identifies reputational risk for Council arising from dissatisfaction of some property owners by the proposal to change the name. The key motivation for the proposal is to improve the safety of residents.
|
|
Ordinary Meeting – Tuesday 13 May 2025 Page 0 |
CL25.146 Proposed New Lease to Millhouse Art Society - Shops 4 & 5, 69 Princes Highway, Milton
HPERM Ref: D25/152792
Department: Buildings & Property Services
Approver: Kevin Norwood, Acting Director - City Services
Purpose:
The purpose of this report is for Council to consider approval of a new five-year lease to Millhouse Art Society of Milton Ulladulla Incorporated at Part Lot 1 DP 736273, Part Lot 5 DP 631087 & Part Lot 1 DP325570 (Shops 4 & 5, 69 Princes Highway, Milton).
Summary and Key Points for Consideration:
· The land is classified as Council owned Operational land and Council can enter the proposed five-year lease.
· Council resolution is required to determine the granting of the proposed lease on the basis the annual rent exceeds $5,000 per annum.
|
That Council 1. Enter a new five-year lease with Millhouse Art Society of Milton Ulladulla Incorporated (ABN 38 561 508 034) over Council operational land known as Shops 4 & 5, 69 Princes Highway, Milton (Part Lot 1 DP 736273, Part Lot 5 DP 631087 & Part Lot 1 DP325570). 2. Establish commencement lease rental of $6,281.31 (excluding GST) per annum with annual rent increases in line with the Consumer Price Index (All Groups Sydney). 3. Lessee to be responsible for operating costs of the leased premises including proportional building insurance, garbage, water & sewerage usage at an estimated cost of $1,345 (excluding GST) per annum. 4. Authorise the Common Seal of the Council of the City of Shoalhaven to be affixed to any document required to be sealed and delegate authority to the Chief Executive Officer or delegated officer to sign any documentation necessary to give effect to this resolution.
|
Options
1. Resolve as recommended.
Implications: Millhouse Art Society of Milton Ulladulla Incorporated will be able to continue in the community and use the premises as an art gallery, shop and classroom.
2. Seek opportunity for new tenancy.
Implications: If Millhouse Art Society of Milton Ulladulla Incorporated do not secure the premises under new lease term, Council will need to advertise the premises through Expression of Interest.
Background and Supplementary information
The property at Part Lot 1 DP 736273, Part Lot 5 DP 631087 & Part Lot 1 DP325570 (Shops 4 & 5, 69 Princes Highway, Milton) is Council-owned Operational land (refer Figure 1). Improvements consist of car park and several buildings including public toilets, and seven shop premises known as the “Courtyard Studios”. Shops 4 & 5 are occupied by Millhouse Art Society of Milton Ulladulla Incorporated.
Millhouse Art Society of Milton Ulladulla Incorporated is a local volunteer-based community arts centre that provides gallery space for Shoalhaven residents to exhibit and sell their work. They have been in operation since 1974 and in the current premises since 1995.
Millhouse Art Society members are artists seeking companionship of like-minded people to share painting skills and knowledge with other members as well as the public. Members are involved in regular weekly workshops at the Gallery. The Society run several additional workshops and demonstrations by invited artists to extend their members’ experience and knowledge. They also offer a program of beginner workshops free to the public.
Figure 1 – 69 Princes Highway, Milton

Figure 2 - Leased area Shops 4 & 5, 69 Princes Highway, Milton

Internal Consultations
Internal stakeholder consultation was undertaken, and no concerns were raised to the new lease.
External Consultations
No external consultation was required for this proposal given Council is re-negotiating with the existing lessee for a new lease term.
Community Consultations
The land is classified as Operational land, and no consultation/notification is required.
Policy and Statutory Implications
Council Policy Occupation of Council Owned or Managed Land (POL22/98) is relevant to the proposed lease and has been considered for this matter.
The Rental Assessment Framework (RAF) is utilised by the property team to determine a fair rental subsidy.
The community group provides an application with supporting information which is used to assess the applicable subsidy amount.
Financial Implications
A market rent assessment was obtained from a licenced valuer as required under POL22/98 and rental subsidy calculation undertaken.
Application of the RAF calculator determined a rental subsidy of 57.27% for this tenant on the basis that they are classified as a Non-Profit Local Community Group. This resulted in a new rental amount of $6,281.31 (excl. GST) p.a. representing an increase of $1,487.40 p.a.
Outgoings are separately charged to the new rent and included in the recommendation to this report. The licensee is also responsible for the costs of new lease preparation in accordance with POL22/98.
Consultation has been undertaken, and the lessee has agreed to the proposed new rent and outgoings.
Risk Implications
It is normal practice to allow for an interest in land in the form of a lease. Council’s interests have been considered and there is minimal risk associated with the recommended new lease agreement.
|
|
Ordinary Meeting – Tuesday 13 May 2025 Page 0 |
CL25.147 Proposed Road Closure and Classification of Land - Milton Bushfire Station - Croobyar Road and Woodstock Road, Milton
HPERM Ref: D25/154134
Department: Buildings & Property Services
Approver: Kevin Norwood, Acting Director - City Services
Purpose
The reason for this report is for Council to support the closure of the unformed road on which Milton Bushfire Station is located in order to formalise legal land description. The report also recommends the land be classified as Operational land.
Summary and Key Points for Consideration
· Council has the ability to close an unused Council public road under section 38A of the Roads Act 1993 where the road is not reasonably required as a road for public use, not required to provide continuity for an existing road network, and in the case where it provides a means of vehicular access to particular land, that another road provides lawful and reasonably practicable access to that land.
· Council resolution is required for closure of a public road by Gazette notice, as well as the classification of land, being non-delegable functions under section 377 Local Government Act 1993.
|
That Council 1. Approve the road closure under section 38D of the Roads Act 1993 for the unused surplus road reserve at Croobyar Road and Woodstock Road, Milton as shown on Figure 1 in this report and subject to final survey, by notice in the NSW Government Gazette. 2. Consent to the grant of easements over the land as required and in accordance with Endeavour Energy and Shoalhaven Water requirements. 3. Classifies the closed section of road as Operational land following public notice of the proposed classification under the Local Government Act 1993. 4. Authorise the Common Seal of the Council of the City of Shoalhaven to be affixed to any document required to be sealed and delegate authority to the Chief Executive Officer to sign any documentation necessary to give effect to this resolution.
|
Options
1. Resolve as recommended.
Implications: The subject section of Council public road will be closed, formalising a lot with title being created in Council’s ownership. This will remove obstacles for future development applications over the land and resolve administrative issues. The land will be classified Operational land.
2. Not resolve as recommended.
Implications: The subject land including the Milton Bushfire Station, associated carpark and curtilage, will remain in the road reserve. This status poses difficulties for future development applications over the land and unresolved administrative issues.
Background and Supplementary information
Milton Bushfire Station is constructed on an area of unused road reserve at the corner of Croobyar and Woodstock Road, adjoining Lot 101 DP 1238356 Woodstock Road, Milton. The facility location was identified as the preferred site for local bushfire fighting strategic needs by Council in 1992 (MIN92.044). The surplus road reserve was developed with the bushfire facility infrastructure following the construction of Woodstock/Croobyar Road to the current alignment.
As a road is typically not identified by a registered lot and plan description, the current status poses obstacles for future development applications over the land and administrative issues.
Recently, NSW Rural Fire Service enquired with Council regarding the possibility of developing the Milton site for additional storage needs. Closure of part of the road (including the Bushfire Station, carpark and curtilage) will result in a survey plan and title being created in Council ownership. This will overcome future problems as outlined in the preceding paragraph. The proposed area for road closure is shown in Figure 1.
Figure 1 - Area proposed for road closure

Easements are to be created over the new lot in accordance with relevant Notifiable Authority requirements. An easement for water supply 6m wide is to be centrally located over existing water supply assets along Croobyar Road. An easement for overhead power lines is to extend 4.5m on all sides of affected pole stays.
Other water assets and above-ground infrastructure assets alongside the constructed Woodstock Road will be retained within the road reserve.
It is intended to classify the land as Operational land consistent with other similar sites in the LGA.
Notification of a proposal to close a Council public road is prescribed under section 38B of the Roads Act 1993. After considering any submissions made to the proposal, Council may by notice published in the Gazette, close the public road under section 38D of the Roads Act 1993. In the case where a Notifiable Authority has formally objected under section 38C to the closing of the road, the road may not be closed until the objection is withdrawn by the authority. Upon gazettal of the notice, the road ceases to be a public road.
Internal Consultations
Internal consultation was undertaken, and no objections were received to the proposed road closure, subject to appropriate easements being created for electricity and water respectively.
External Consultations
In accordance with section 38B of the Roads Act 1993, Notifiable Authorities were advised of the road closure proposal.
Endeavour Energy will remove their objection to the proposed road closure with creation of easement for overhead powerlines. No other submissions were received.
Crown Lands has approved the proposed vesting of the closed road to Council.
Community Consultations
In accordance with section 38B of the Roads Act 1993, notice of the road closure proposal was published in a local newspaper and to owners of adjoining land. No submissions were received.
In accordance with section 34 of the Local Government Act 1993, public notice of Council’s intention to classify the land as Operational land will occur. If a submission in the form of an objection is from the public notice, a separate report will be prepared for Council.
Policy and Statutory Implications
The proposed road closure and creation of separate land title is being undertaken in accordance with Council’s Procedures; ‘Dealing with Requests for the Closure, Sale or Transfer of Council and Crown Roads’, and; ‘Due Diligence for Land Transactions’.
The relevant statutory instruments are the Roads Act 1993 and Local Government Act 1993.
Financial Implications
The anticipated costs of survey, registration and legal fees associated with the proposal are in the order of $15,000 to $18,000. In order to complete the road closure and classification of land, the Asset Custodian will need to budget for these anticipated costs.
Risk Implications
Council’s risks have been considered and there is minimal risk associated with the recommended road closure and land classification.
|
|
Ordinary Meeting – Tuesday 13 May 2025 Page 0 |
CL25.148 Proposed New Licence - Part No.5 Birriley Street, Bomaderry
HPERM Ref: D25/195185
Department: Buildings & Property Services
Approver: Kevin Norwood, Acting Director - City Services
Purpose
The purpose of this report is for Council to consider approval of a new five-year licence agreement to Salt Care at part Lot 2 DP 568955, Part No.5 Birriley Street Bomaderry. This matter was reported to Council on 29 April 2025 (CL25.131) and Council resolved “That the matter of Proposed New Licence – Part No.5 Birriley Street Bomaderry be deferred to the next meeting to allow for further information in relation to the market report and the determination of the rental amount” (MIN25.200).
Summary and Key Points for Consideration
· The land is classified as Council owned community land and Council can enter the proposed five-year licence.
· Council resolution is required to determine the granting of the proposed licence on the basis the annual rent exceeds $5,000 per annum.
|
That Council: 1. Enter a five-year licence with Salt Care (ABN 66 625 075 890) over Council community land known as Part No.5 Birriley St Bomaderry (Part Lot 2 DP 568955). 2. Establish commencement licence rental of $5,094.65 (excluding GST) per annum with annual rent increases in line with the Consumer Price Index (All Groups Sydney). 3. Licensee to be responsible for operating costs of the licensed premises including building insurance, garbage and water & sewerage usage at an estimated cost of $3,600 (excluding GST) per annum. 4. Authorise the Common Seal of the Council of the City of Shoalhaven to be affixed to any document required to be sealed and delegate authority to the Chief Executive Officer or delegated officer to sign any documentation necessary to give effect to this resolution.
|
Options
1. Resolve as recommended.
Implications: Salt Care activities will be able to continue in the community and use the premises as a food and clothing bank and administration office.
2. Seek opportunity for new tenancy.
Implications: If Salt Care do not secure these premises under new licence term, they will need an alternative location. Council will need to advertise the premises through Expression of Interest.
Background and Supplementary information
The property at Lot 2 DP 568955 (5 Birriley St Bomaderry) is Council-owned community land (refer Figure 1) and consist of a car park and several buildings including the Bomaderry Pre-school, the former Bomaderry primary school (currently used by Salt Care), and the Nowra Bomaderry Meals on Wheels. The site adjoins the Bomaderry Community Hall on Lot 1 DP 568955 (17 Birriley St Bomaderry).
Salt Care is a local not-for-profit, volunteer-based charity that provides benevolent relief to a broad cross-section of disadvantaged groups in the community.
The Salt Care mission is to provide comprehensive support for individuals facing challenges and through management and various support services, to empower individuals to rebuild their lives.
The premises is currently used to give those in need the opportunity to collect groceries, for a gold coin donation. Salt Care also host a clothing store at the premises every week, providing both morning tea and clothing options.
Figure 1 – Salt Care Licenced area - No.5 Birriley Street, Bomaderry

Internal Consultations
Internal stakeholder consultation was undertaken, and no concerns were raised to the new licence.
External Consultations
No external consultation was required for this proposal given Council is re-negotiating with the existing licensee for a new licence term.
Community Consultations
The proposed licence as advertised as required under section 47 of the Local Government Act 1993. No submissions were received.
Policy and Statutory Implications
Council Policy 22/98 (Occupation of Council Owned or Managed Land) is relevant to the proposed licence and has been considered for this matter.
The Rental Assessment Framework (RAF) is utilised to determine a fair rental subsidy.
The community group provides information through a Proposal to Occupy Council Property which is used to assess the applicable subsidy amount.
Under the Local Government Act (community land), Council is restricted to the uses that can occur under lease or licence. While the land is classified community, the use conducted under the lease or licence must be in accordance with 46(4) of the Act, be expressly authorised in the plan of management, and consistent with the core objective of the category of the land, being General Community Use.
The current use conforms with 46 (4)(a)(ii) specifically.
(4) The following purposes are prescribed for the purposes of subsection (1)(b)(i)—
(a) the provision of goods, services and facilities, and the carrying out of activities, appropriate to the current and future needs within the local community and of the wider public in relation to any of the following—
(i) public recreation,
(ii) the physical, cultural, social and intellectual welfare or development of persons,
(b) the provision of public roads.
(5) Purposes prescribed by subsection (4) in relation to the matters mentioned in subsection (4)(a)(ii) include, but are not limited to, maternity welfare centres, infant welfare centres, kindergartens, nurseries, child care centres, family day-care centres, surf life saving clubs, restaurants or refreshment kiosks.
Financial Implications
A market rent assessment was obtained as required under POL22/98 and rental subsidy calculation undertaken.
Application of the RAF calculator determined a rental subsidy of 83% for the licence proposal as a not-for-profit local community group. This resulted in a new rental amount of $5,094.65 (excluding GST) p.a. representing an increase of $2,786 p.a.
In 2020, the current licence was assigned to Salt Care from St John Ambulance Australia, who entered into an agreement with Council in 2018 with annual rent of $1,893 excluding GST. Since 2018, annual rent has increased by fixed percentage and is currently $2,308 p.a.
Table 1 – Salt Care - No.5 Birriley Street, Bomaderry

Outgoings are separately charged to the new rent and included in the recommendation to this report. The licensee is also responsible for the costs of new licence preparation in accordance with POL22/98.
Consultation has been undertaken, and the licensee has agreed to the proposed new rent and outgoings.
Risk Implications
It is normal practice to allow for an interest in land in the form of a licence. Council’s interests have been considered and there is minimal risk associated with the recommended new licence agreement.
|
|
Ordinary Meeting – Tuesday 13 May 2025 Page 0 |
CL25.149 Community Consultative Body Activity Report January 2024 - December 2024
HPERM Ref: D25/92571
Department: Cultural & Community Services
Approver: Lindsay Usher, Acting Director - City Development
Attachments: 1. Table of CCB Meeting Minutes received to Council (under separate cover) ⇨
2. Timeline of Events Meeting Criteria to Cease Recognition as CCB - Sussex Inlet & Districts Community Forum - Pride of Bomaderry (under separate cover) ⇨
3. Supporting Documents - Sussex Inlet and Districts Community Forum - Justification of meeting CCB functions (under separate cover) ⇨
4. Timeline of Events - Culburra Beach and Orient Point Community Forum - Evidence of Community confidence in process of establishing CCB (under separate cover) ⇨
Purpose:
The purpose of this report is to:
· Outline the reasons for the Pride of Bomaderry (PoB) Community Consultative Body to cease to be recognised by Council as a Community Consultative Body (CCB).
· Outline reasons for the Sussex Inlet & Districts Community Forum (SI&DCF) to continue to be recognised as a CCB despite not meeting eligibility criteria as presented in the CCB Guidelines.
· Provide feedback to Councillors on staff assistance to the interim committee of the Culburra Beach and Orient Point Community Forum (CB&OPCF) ensuring that the community is fully informed and confident in the process as they establish the CCB, as resolved in MIN24.214 at the Ordinary Meeting on 22 April 2024.
Summary and Key Points for Consideration:
Two CCBs have been identified as meeting the criteria set out in the CCB Guidelines to cease to be recognised as a CCB:
· PoB have not been able to elect committee members to meet quorum for over 18 months and have not held a meeting since March 2022.
· SI&DCF have not been able to elect committee members to meet quorum since March 2023.
As per the CCB Guidelines a report must be presented to Council setting out the reasons to cease to recognise a CCB.
MIN24.214 required a report to Council on the progress of CB&OPCF as the interim committee established the CCB. CB&OPCF have demonstrated a commitment to ensuring the community is confident, fully informed and involved in the process of establishing this new CCB for the community
|
That: 1. Council ceases their endorsement of Pride of Bomaderry CCB as a CCB due to their inability to meet the minimum eligibility criteria for representing their community as outlined in the CCB Guidelines. 2. Council continues to endorse the Sussex Inlet & Districts Community Forum as a CCB due to their ability to demonstrate sufficient characteristics of a resident group suitable for endorsement to act as a CCB as outlined in the CCB Guidelines. 3. Council acknowledges that the Culburra Beach and Orient Point Community Forum CCB interim committees have demonstrated communication with community to ensure they are fully informed and confident in the process taken to establish the CCB.
|
Options
1. Council endorses the recommendations as written
Implications: Pride of Bomaderry will no longer be endorsed as a CCB and will not receive subsidy or insurance to cover their activities. Staff will seek to identify other community groups that may wish to consider becoming a CCB to represent the Bomaderry area. Staff will continue to work with Sussex Inlet and Districts Community Forum to assist them in building a committee.
2. Council determines that Pride of Bomaderry CCB continue to be endorsed by Council as a CCB despite an inability to meet the minimum eligibility criteria for representing their community as outlined in the CCB Guidelines.
Implications: The Bomaderry community are unrepresented by a functional CCB and Council takes on the reputational risk of disregarding its own policy advice.
3. Council determines that Sussex Inlet & Districts Community Forum cease to be endorsed by Council as a CCB despite their ability to demonstrate sufficient characteristics of a resident group suitable for endorsement to act as a CCB as outlined in the CCB Guidelines.
Implications: The continued work of the Sussex Inlet & Districts Community Forum may be perceived to be disregarded by Council which could damage the current positive relationship.
4. Council determines the Culburra Beach and Orient Point Community Forum CCB endorsement incomplete and cease to recognise them as a CCB.
Implications: Reasons outside of the CCB Guidelines will need to be determined to cease recognition of Culburra Beach and Orient Point Community Forum as a CCB which may risk Council’s reputation.
Background and Supplementary information
Council currently endorses 24 Community Consultative Bodies (CCBs), as the representative group for residents and ratepayers in a given area.
CCBs are independent community groups understood to have the general support and confidence of the community to; disperse information, promote and facilitate discussion and communicate shared and collective views of the community to Council. CCB’s are recognised in Council‘s Community Engagement Strategy as one of 16 stakeholder groups that Council are committed to engaging with.
When recognised as a CCB by Council, CCBs commit to meeting regularly in person or using a public digital process a minimum of three times a year following public notice of intent to meet. The Community Consultative Body Guidelines section 6.1 Criteria for Ceasing to be Recognised as a CCB lists failure to hold regular meetings, the inability of a CCB to elect office bearers within two months of an annual general meeting and failure to maintain a quorum for three consecutive meetings as criteria for ceasing to be recognised as a CCB. These requirements are in place to ensure that there is a governance system that encourages broad community representation when communicating views of the community to Council.
Tracking of meeting minutes received by Council shows that the majority of CCBs are meeting regularly, see Attachment 1. Two CCBs have been identified as meeting the Criteria for Ceasing to be Recognised as a CCB, Pride of Bomaderry (PoB) and Sussex Inlet & Districts Community Forum (SI&DCF) (see below for reasoning). Additionally, the Milton 2538 CCB has been flagged as at risk of meeting the Criteria for Ceasing to be Recognised as a CCB, meeting only once during 2024. The Community Connections team are working with their executive to resolve this issue in 2025.
Pride of Bomaderry
PoB have not been able to elect committee members to meet quorum for over 18 months and have not held a meeting since March 2022. After 10 months with support from Council’s Community Connections Officer, PoB have been unable to rectify their non-compliance matters and have made no objection to recommendations made in this report. See Attachment 2 for full timeline of events. With no elected committee member and no meetings being held the Bomaderry community are currently unrepresented by a functioning CCB. If PoB cease to be recognised as a CCB, it will allow an alternative group to apply for endorsement as a CCB for Bomaderry.
Sussex Inlet & Districts Community Forum
SI&DCF have not been able to elect committee members to meet quorum since March 2023. The group have continued to meet since then and Council have received minutes from nine meetings held to date in 2024. See Attachment 2 for full timeline of events.
Meeting minutes tracked by Council show significant correspondence sent to forum members which includes, Council Ordinary Meeting Minutes, local community project updates, Council Strategic Planning updates/amendments and various press releases on local matters. SI&DCF have provided additional documentation to show how they continue to execute their role as a CCB which includes a letter of justification outlining ways in which the forum communicates with community, how they assess the needs of community and an overview of submissions made to Council and other Government bodies on behalf of their community, see Attachment 3.
The broader issue of volunteer recruitment and retention currently experienced by community groups, has an impact on SI&DCF’s ability to meet the requirements outlined in the CCB Guidelines. The information provided by SI&DCF shows that they continue to disperse Council information to community, encourage community involvement in Council decision making and provide opportunities for the community to participate in discussions of local government issues when required.
Culburra Beach & Orient Point Community Forum
The Culburra Beach & Orient Point Community Forum (CB&OPCF) submitted an application to be endorsed by Council as a CCB in January 2024. At the Ordinary Meeting held 12 February 2024, this application was supported by Council in principle prior to a Public Exhibition period, MIN24.59
The outcome of the Public Exhibition period was reported to Council at the Ordinary Meeting held 22 April 2024. As several submissions were received showing community concern, Council resolved (MIN 24.214):
That Council
1. Endorses the application for Culburra Beach & Orient Point Community Forum to become the endorsed Community Consultative Body
2. Staff assist the current committee with community communication and establishment of the CCB to ensure that the community is fully informed and confident in the processes
3. Request the CEO provide a further report back to Council once the discussions have occurred considering the feedback from Council staff.
From 16 May 2024 staff have been working closely with the interim committee of the CB&OPCF to ensure that the community is fully informed and confident in the process of establishing this new CCB. See Attachment 4 for a full timeline of events. During the time that staff have been working with CB&OPCF, the interim committee have shown a commitment to ensuring the community is confident, fully informed and involved in the process of establishing this new CCB for the community. Documentation has been provided to Council showing that fair process has been followed to establish equitable and transparent governance of the CCB, processes are in place to maintain ongoing communication with the community and relationships have been developed between the interim committee and Council.
Next Steps
As per the CCB Guidelines, if Council supports the reasons for PoB and/or SI&DCF to cease to be recognised as a CCB a letter will be sent to the last known contact, inviting the CCB to comment as to why Council should not cease to recognise them as a CCB, allowing a response time of 28 days. If no response is received, a further letter will be sent stipulating a response in 14 days. If after this time no response has been received PoB and/or SI&DCF will automatically cease to be recognised as a CCB. If a response is received a further report to Council will be made setting out the CCB’s views and Council will determine the appropriate action.
Internal Consultations
Notification will be given to Council staff if determination to cease recognition of a CCB is made.
External Consultations
No external consultations have been required outside of community consultation.
Community Consultations
The two CCBs identified as meeting the criteria to cease to be recognised as a CCB have been engaged to understand the implications of this report and provided with opportunity to respond. CCBs at risk of meeting the criteria for ceasing to be recognised as a CCB were given the opportunity to provide any meeting minutes pending.
After being unable to present meeting minutes pending on request, the President of Milton 2538 CCB was contacted by phone and a conversation was held regarding the status of the CCB, its current issues and the next steps moving forward which included the development of this report. The President was able to confirm that the Milton 2538 CCB were experiencing difficulties with recruiting volunteers for the executive committee and welcomed staff support on this matter.
CB&OPCF have been in ongoing communication with staff throughout their process of establishing their CCB and the development of this report.
Policy and Statutory Implications
The Community Consultative Body Guidelines Section 6 Cessation of Recognition as a Community Consultative Body outlines the criteria for ceasing to be recognised as a CCB and the appeal process prior to cessation of a CCB. The non-compliance matters discussed in this report and the actions taken by staff align with this policy.
Financial Implications
PoB has not received the $500 Annual CCB Subsidy since 31 August 2021, if PoB ceases to be recognised as a CCB there will be no future payments of the $500 Annual CCB Subsidy for Bomaderry unless another group is instated as the CCB for the area. PoB have not been included in Council’s insurance policy covering CCB’s, there will be no change in budget unless another group is instated as the CCB for the area.
SI&DCF have been receiving the $500 Annual CCB Subsidy, if SI&DCF cease to be recognise as a CCB this is a potential $500 per annum saving unless another group is instated as the CCB for this area. SI&DCF are currently included in Council’s insurance policy covering CCB’s which costs $644.11 per annum.
CB&OPCF has received the $500 Annual CCB Subsidy once and are covered by Council’s insurance policy at a cost of $644.11 per annum. These costs will continue if CB&OPCF continue to be recognised as a CCB.
Risk Implications
There is a reputational risk to Council if PoB and SI&DCF continue to be recognised as a CCB whilst in conflict with the CCB Guidelines.
Whilst PoB and SI&DCF continue to be recognised as the CCB for their given geographic areas whilst not meeting the CCB Guidelines, Council risks their decisions being informed by advice from a small group of people rather than representative of the broader community views.
|
|
Ordinary Meeting – Tuesday 13 May 2025 Page 0 |
CL25.150 Report to NoM - CL25.29 - Ongoing Maintenance of Vegetation at Collingwood Beach
HPERM Ref: D25/123805
Department: Environmental Services
Approver: Lindsay Usher, Acting Director - City Development
Purpose:
The purpose of this report is to address Notice of Motion put forward at the Ordinary Meeting of 18 February 2025 – CL25.29 and subsequent resolution, MIN25.33.
Summary and Key Points for Consideration:
This report provides information regarding the Councils maintenance of the vegetation at Collingwood Beach (2021 - 2025), the currency of the Collingwood Beach Dunecare Action Plan adopted at the Development & Environment Committee 6 April 2021, and details of ongoing work in line with the certified Coastal Management Program for the Shoalhaven Open Coast and Jervis Bay (CMP).
Key Points:
· The Coastal Management Program for the Shoalhaven Open Coast and Jervis Bay was certified and gazetted in September 2024 and now provides the strategy and actions applicable to Collingwood Beach and its foreshore (MIN24.253).
· Ongoing dune management in line with CMP objectives and associated NSW DCCEEW grant funding support, currently includes works in progress and committed for delivery through FY24/25/26.
· Projects undertaken through grant funding contribution from the NSW Department of Climate Change, Energy, the Environment and Water (DCCEEW, formerly Department of Planning and Environment (DPE)) between March 2022 and January 2024 delivered in exceedance of $115,000 (excl. GST) worth of Dune Management activities at Collingwood beach.
· Community volunteers continue to assist Council by undertaking the control of environmental weeds within the dunes.
|
That Council receive the report for information. |
Options
1. Accept the recommendation.
Implications: Nil
2. Request further information.
Implications: The delivery of reports impact on Council resourcing.
Background and Supplementary information
This report provides information in response to the Notice of Motion put forward at the Ordinary Meeting of 18 February 2025 – CL25.29 and subsequent resolution, MIN25.33:
That Council direct the Acting CEO to report to Council on the ongoing maintenance of the vegetation at Collingwood Beach set out in the Action Plan adopted at the Development & Environment Committee 6 April 2021 (MIN21.176).
In September 2024, the Shoalhaven Open Coast and Jervis Bay Coastal Management Program (CMP) was adopted by Council (MIN24.253) and subsequently certified and gazetted by the NSW State Government. Through Councils adoption it was resolved that, in line with statutory obligations, the Certified CMP would become the overarching strategy for the management of the coastal zone, superseding previous resolutions.
As extracted from report CL24.127, leading to the resolution MIN24.253:
“Following the certification of the CMP, existing Resolutions from Council Meetings relating to coastal management that have been actioned by Council will be superseded, with the CMP to become the overarching strategy for the management of the coastal zone within the Shoalhaven. As outlined above, the CMP has been developed considering Council’s statutory obligations for coastal management as outlined with the CM Act, Council’s existing policies relevant to the coastal environment, best practice coastal management as documented within State Government guidelines and literature, as well as the outcomes of extensive consultation with the community and State Government agencies over the preceding years. Subsequently, the CMP will be the primary mechanism for Council to manage the coastal zone of the Shoalhaven Open Coast and Jervis Bay region in an integrated and holistic approach.”
Prior to the certification of the CMP, Council delivered in exceedance of $115,000 (excl. GST) worth of contracted dune management activities at Collingwood beach through 1:1 grant funding contribution from the NSW Department of Climate Change, Energy, the Environment and Water (DCCEEW, formerly Department of Planning and Environment (DPE)) between March 2022 and January 2024. The following outcomes were achieved as a result of these projects:
· Installation and renewal of post and wire fencing at 11 Council managed beach access tracks between Illfracombe Avenue and Susan Street.
· Installation and renewal of approximately 1.5 km of post and wire fencing along the shoreward side of the shared user path between Illfracombe Avenue and Susan Street.
· Vegetation pruning to achieve pedestrian clearance standards along all access fences and the shared user path.
· Weed control works along the extent of Collingwood Beach targeting Mother of Millions (Bryophyllum sp.), Sea Spurge (Euphorbia paralias), Fleabane (Conyza sp.) and other broad leaf weeds.
· Sand nourishment along all managed beach access tracks.
· Revegetation works, for the purposes of dune stabilisation and biodiversity improvement was undertaken using shrubs, ground covers and vine species totalled 2,900 native tube stock. This includes diverse species selection with variable growth habit and root systems to help stabilise the dunes and provided better outcomes for biodiversity.
· Installation of two educational signs and the installation of seating.
Since the Certification of the Coastal Zone and Jervis Bay CMP two DCCEEW grant supported projects are relevant to Collingwood Beach and committed for delivery through to 2028 financial year.
The first includes dune vegetation management work as a component of a regionally significant grant supported project with DCCEEW through to 2028. This project encompasses dune vegetation management works across 24 Council managed beaches/dune areas between Shoalhaven Heads and Bawley point. The project will deliver $500,000 (excl. GST) worth of vegetation and beach access management work across the Local Government Area.
Council is also committed to the delivery of beach scraping works at Collingwood Beach commencing in April 2025 to the value of $25,573.20 (excl. GST). This project replenishes beach access tracks and supports the natural accretion of the dune as a protection measure against coastal erosion.
The contractor work continues at Huskisson, Nelsons, Hyams and Collingwood Beaches to the value of $25,689.60 (excl. GST). This involves weed removal, revegetation and maintenance works.
The Collingwood Beach Dunecare Group undertook weed control and revegetation at two locations during the two years from 2019 to 2021. Overall, the group contributed almost 300 hours of volunteer effort towards the improvement in the condition of the Collingwood Beach dune.
The Vincentia Bushcare Group has continued to undertake weed control activities along Collingwood Beach since 1998 and currently contribute in the order of 500 - 600 hours of volunteer effort per year. This group does not undertake revegetation work.
There was one report of vegetation vandalism in 2024 and zero so far this year, this contrast to ten reports during 2023. This may indicate that the ongoing surveillance combined with the activities described above are having a positive effect locally. Certainly, a lower level of vegetation vandalism is likely to contribute to higher levels of harmony within the community. In addition to revegetation activities previously described, some revegetation of vandalised sites has also occurred. In 2023, 100 plants were planted across three vandalism sites using a selection of low shrubs, grasses and vines.
The pathway that extends from White Sands Park in Huskisson through to Jervis Street in Vincentia, becomes a 'bushwalk' south of Jervis Street. Grass adjacent to the shared user path is mowed monthly and includes inspections and trimming of any branches that may encroach onto the path. There are some garden beds adjacent to the path that Council also maintains monthly (generally between the path and adjacent roads). Much of the walkway maintenance work is captured during maintenance of adjacent parks and reserves. The Collingwood Beach reserve is 1 of 16 that has a year to date expenditure of $134,000 on mowing. The area is also included as 1 of 20 parks/reserves that have received collective $110,000 horticultural maintenance expenditure through this financial year. The overall vegetation maintenance costs, just along the pathway are estimated in the order of $1,000 - $2,000 per month when excluding adjacent reserves and any reactive maintenance required in response to damage/hazard management.
Internal Consultations
The area is managed via ongoing consultation between Environmental Services & Ranger Services (City Development), and Works and Services (City Services). Internal collaboration ensures appropriate management of respective land use and asset types.
External Consultations
Throughout development of the CMP, external consultation was carried with a range of representatives from State Government Agencies, adjacent local Councils and Non-Government Organisations. These included:
· NSW Department of Planning and Environment – Environment and Heritage (DPE, now DCCEEW), and Crown Lands
· NSW Department of Primary Industries (DPI) – Fisheries (including the Jervis Bay Marine Park).
· Transport for NSW (TfNSW)
· National Parks and Wildlife Service (NPWS)
· State Emergency Services (SES)
· Local Land Services (LLS)
· Eurobodalla Council
· Kiama Council
· Jerrinja Local Aboriginal Land Council (LALC)
· Jerrinja Tribal Group
· Ulladulla LALC
Consultation was undertaken to obtain feedback on the existing coastal hazards, risks, and opportunities within the Shoalhaven LGA, as well as the development and implementation of proposed management actions. Throughout this process, external entities provided information to support Council in developing a CMP that meets statutory obligations for the management of the coastal zone within the CMP Study Area. Letters of support from the relevant NSW State Government agencies were provided prior to the certification and Gazettal of the CMP.
Community Consultations
A detailed Stakeholder and Community Engagement Strategy was developed as part of the CMP, outlining the timing, content, and engagement methods to be utilised for all community and stakeholder engagement activities. This strategy has been implemented progressively through each stage of the CMP. The engagement strategy was developed in line with CMP Engagement Guidelines developed by the NSW State Government (DCCEEW), the Shoalhaven City Council Community Engagement Strategy and the use of the International Association for Public Participation (IAP2) guidelines. The engagement informed development and subsequent certification of the CMP.
During the development of the CMP, Council employed a diverse range of strategies to actively engage with the community. These methods have included the following:
· Social media posting and advertising
· Council’s Community newsletter
· Community Information drop-in sessions and workshops
· Council media releases
· Installing signs in beach and foreshore areas (e.g. beach access tracks, watercraft facilities)
· Emails to a well-developed stakeholder list to provide project updates and promote upcoming engagement opportunities.
· Correspondence with Council’s Community Consultative Bodies
· Email to subscribers of the Get Involved page
· Face-to-face meetings with our Indigenous stakeholders
· External Government workshops
· Internal Government workshops
· Radio advertising
· Newspaper advertising
As a result, Council developed an extensive database of individuals interested in being engaged on the progression of the CMP through each stage of development.
In response to NoM CL25.29, there were 13 individual Mayoral/Councillor requests in opposition. Such included representation and submission on behalf of a broad range of community groups comprising:
· Our future Shoalhaven
· Bird Life Shoalhaven (branch of Bird Life Australia)
· Huskisson Woollamia Community Voice (CCB)
· Shoalhaven Bushwalkers
· Vincentia Ratepayers & Residents Association (CCB)
· Vincentia Bushcare Volunteers
· Vincentia Matters
Key recurring items raised in opposition included propositions to consider:
· The CMP as the currently applicable strategic management plan
· Limited fire hazard risk and existing buffer zone provided between the natural area and private assets.
· Resourcing allocation and financial implications of such.
· Historical topical debate.
There was one deputation received in support of the NoM from a representative of the Collingwood Beach Preservation Group.
Policy and Statutory Implications
The Coastal Management Program provides the applicable strategic management actions and reporting mechanisms for future dune management at Collingwood Beah. The CMP provides, (Action CW.06):
“Continue the ongoing implementation of ecological restoration works within coastal reserves at Collingwood Beach with reference to the objectives of the associated coastal management areas. Prioritisation will be given to areas that comprise areas of Coastal Wetland and Littoral Rainforest and/or house threatened ecological communities (TECs), and targeted weed species control works. This should include:
· Dune restoration and revegetation that removes weeds and plants more appropriate dune species in order to provide greater foreshore stability and promote natural recovery after storms.
· Vegetation management and cases of environmental vandalism to be managed in accordance with Council’s Tree Management Policy (Public Land), Vegetation Vandalism Prevention Policy, Foreshore Reserves Policy, and the NSW Dune Management Manual.”
The CMP also includes seven overarching strategies for coastal management, Strategy 5 relating to the Protection of the Coastal Environment provides (Action S5.02):
Maintain and enhance ecological communities in coastal reserves (including dunes), considering appropriate ecological strategies for urban (foreshore recreation reserve) and non-urban areas.”
This action includes the ongoing implementation of ecological restoration works in coastal reserves.
The Monitoring, Evaluation and Reporting section of the CMP indicates how actions in the Plan will be reported to Council and states (p. 117):
“The IP&R reporting system (including annual operational reporting and longer interval strategic reporting) provides the opportunity to formally report on monitoring of coastal management and its outcomes. Council delivers an Annual Report to document its progress in implementing its 4 Year Delivery Program and Annual Operational Plan activities over each financial year. This provides for a yearly evaluation of the implementation status of each action in the CMP.”
Financial Implications
Nil. The report is provided for information.
Risk Implications
Council is working in accordance with the provisions of applicable legislation including but not limited to, the Coastal Management Act (2016), the Local Government Act (1993) and the Crown Land Management Act (2016). There is a high level of risk that actions contrary to those permissible under relevant legislation and regulation could breach the statutory obligations of Council.
It is to be noted that management of land in the coastal zone that does not align with the Coastal Management Program (as has been delivered under the Coastal Management Act (2016)) would not meet exemption from liability provided by Section 733 of the Local Government Act (1993), which details good faith provisions.
|
|
Ordinary Meeting – Tuesday 13 May 2025 Page 0 |
CL25.151 Report to NoM - CL24.387 - Revegetation of Foreshore Areas - Community Concerns
HPERM Ref: D25/123843
Department: Environmental Services
Approver: Lindsay Usher, Acting Director - City Development
Purpose:
To provide a report describing the rationale, delivery and communications undertaken in relation to foreshore revegetation delivered by Shoalhaven City Council in response to Council (MIN24.658).
Summary and Key Points for Consideration:
This report provides information on Council’s foreshore vegetation management practices, outlining details of the applicable strategic planning documents and governing legislative parameters that influence such.
Key Points:
· Coastal Management Programs (CMPs), as developed under the provision of the Coastal Management Act 2016 (NSW), guide Council’s delivery of foreshore management and Council policies to ensure consistent management of areas across the Local Government Area.
|
That Council receive this report for information. |
Options
1. Resolve the recommendation.
Implications: Nil
2. Request further information.
Implications: Unknown, but further reports impact resourcing in providing such information.
Background and Supplementary information
This report provides information in response to the Notice of Motion put forward at the Ordinary Meeting of 10 December 2024 – CL24.387 and subsequent resolution, MIN24.658:
That Council staff produce a report which clarifies large scale community concerns regarding the planting of trees, medium size shrubs and groundcovers adjacent to, and overlooking foreshore areas across the Shoalhaven. Ideally the report would focus on the effective communication and collaboration with nearby residents and foreshore users in ensuring that the desired outcomes are beneficial to all concerned. Council staff note, consult and respond to the following list of very common grievances:
1. The area in question is part of a residential precinct and should not be treated as a wilderness location.
2. Erosion is minimal, and the vaguely communicated proposed works will have less than marginal improvement to the site.
3. The amenity to local users at the selected location, will in all likelihood, be an unfortunate negative.
4. A risk assessment be provided which gives comfort to families that young children will not be placed at greater danger by being hidden or obscured by the bushes, once the new vegetation becomes more mature.
5. The vegetation which drops into the water, quickly rots and has a pollution impact on what was previously a clear and clean body of water.
There are a number of policies, procedures, strategic plans and legislation that provide the impetus for undertaking revegetation along foreshores, inclusive of both estuarine and coastal areas. These are described below.
Local Government Act 1993 (NSW)
Revegetation of community land would typically occur on land that has been categorised as ‘Natural Area’ or as ‘Park’ under the Local Government Act 1993 (NSW) (LG Act), consistent with the objectives for the category of land.
The core objectives for management of community land categorised as a natural area is set out in the Generic Community Land Plan of Management – Natural Areas as follows:
a) to conserve biodiversity and maintain ecosystem function in respect of the land, or the feature or habitat in respect of which the land is categorised as a natural area,
b) to maintain the land, or that feature or habitat, in its natural state and setting,
c) to provide for the restoration and regeneration of the land,
d) to provide for community use of, and access to the land in such a manner as will minimise and mitigate any disturbance caused by human intrusion,
e) to assist in and facilitate the implementation of any provisions restricting the use and management of the land that are set out in a recovery plan or threat abatement plan prepared under the Biodiversity Conservation Act 2016 or the Fisheries Management Act 1994.
The core objectives for management of community land categorised as a park as set out in the Generic Community Land Plan of Management - Parks are:
a) to encourage, promote and facilitate recreational, cultural, social and educational pastimes and activities, and
b) to provide for passive recreational activities or pastimes and for the casual playing of games, and
c) to improve the land in such a way as to promote and facilitate its use to achieve the other core objectives for its management.
Within the Generic Community Land Plan of Management – Parks it is noted that:
“Foreshore reserves are highly valued for their social, cultural, economic, and environmental attractions. By their very nature, these reserves have a degree of environmental sensitivity as the transition zone between aquatic and terrestrial ecosystems. All foreshore reserves are public resources under public ownership and are managed by various levels of government.
Within the Shoalhaven City Council area, foreshore reserves are described as Council Land (Community Land) or Crown Land (Council as Trust Manager or having a Care, Control and Management responsibility). These reserves adjoin permanent water bodies or intermittent watercourses including oceans, estuaries, lakes, rivers, creeks, watercourses and wetlands.
Recognising the need to guide management of its foreshore reserves, Shoalhaven City Council in June 2004 adopted a Foreshore Reserves Policy”’
Specific detail regarding Council’s foreshore reserves policy is provided below.
The Generic and specific Plans of Management developed in accordance with the LG Act have influence on vegetation management of an area, including revegetation activities. The Council’s Generic Plan of Management for Natural Areas (2016) which applies to Council-owned land does not direct specific revegetation activities but states:
“In order to ensure the protection of ecosystems and the conservation of biodiversity, Council will endeavour to plant only local native species within Natural Areas. Plants propagated from local seed help ensure the genetic integrity of the area.”
Specific information outlining key issues and parameters for management can be given in specific Plans of Management. Such may include principles of environmental and asset protection and direct proposed management rectification. Where consistent with the objectives and risk management obligations of Council, revegetation activities along foreshores for the purposes of erosion management and asset protection may be delivered (see for example Plantation Point Plan of Management and Landscape Plan - Plantation Point Reserve Vincentia, SCC 2012 & Greenwell Point Foreshore Reserve Plan of Management, SCC 2006).
Foreshore Reserves Policy
Council’s Foreshore Reserves Policy outlines Council’s direction and requirements in the management of foreshore reserves in order to achieve balance across social, cultural, economic and environmental values in consideration of human and environmental impacts. The policy relates to the whole of a foreshore reserve under Council ownership/management from the land/water transition zone through to the mapped boundary extent, and any immediately adjoining area that may be directly or indirectly impacted on by community use.
Specifically applicable to foreshore revegetation practice and management of organic debris, the Policy provides the following provisions:
“Maintenance of foreshore ecosystems for the protection of property and assets from coastal erosion hazards shall be in accordance with Council’s applicable certified Coastal Zone Management Plan or Coastal Management Program. Where Council is required to revegetate foreshore lands in response to erosion or identified environmental threats, the measures will be in accordance with best practice industry standards for sustainable management and enhancement of biodiversity. Locally endemic vegetation must be used. An appropriate natural vegetation buffer zone will be retained and enhanced on foreshores reserves, where practicable to mitigate risk environmental impacts. Such measures will have the purpose to provide erosion control, habitat enrichment and environmental protection.”
“Naturally deposited organic materials will be retained within foreshore reserves to provide habitat for dependant organisms. Removal of any naturally deposited organic material will require Council to assess the impacts on infrastructure/utilities, public safety, and the environment, and will require adherence to the applicable legislation and conditions of executed agency licenses/permits. Council considers seaweed and/or other deposits of natural materials on foreshore reserves to be part of natural processes and no intervention is proposed.”
Coastal Management Act 2016 (NSW) / Coastal Management Programs
In accordance with the Coastal Management Act 2016 (CM Act), local Councils are to prepare Coastal Management Programs (CMPs) to meet legislative obligations. CMPs cover and apply to the coastal zone as legally defined in the CM Act and the State Environmental Planning Policy (Resilience and Hazards) 2021 (RH SEPP).
CMPs consider measures and outcomes to manage natural resources critical to lifestyle and economy, educate communities, and manage and respond to coastal changes over time. The Shoalhaven comprises 165km of coastline, with over 100km being under the management of Council. As of March 2025, Council has four CMPs either in development or certified and gazetted, as follows:
· Shoalhaven Open Coast and Jervis Bay Coastal Management Program (Certified and Gazetted September 2024/ Stage 5).
· Lake Conjola Coastal Management Program (nearing completion)
· Lower Shoalhaven Coastal Management Program (nearing completion)
· Sussex Inlet, St Georges Basin, Swan Lake & Berrara Creek Coastal Management Program (nearing completion).
CMPs comprise a program of management actions that are developed to address key issues, and harness new opportunities for the management of the Shoalhaven coastal zone. Specific actions are identified within each CMP that are to be implemented over a 10-year management timeframe. They consider a range of overarching strategies for
CMPs provide the overarching strategic actions, priorities and objectives for coastal management in accordance with the CM Act. Management action priorities which may include revegetation and nature based coastal protection works are determined through critical evaluation and an assessment of coastal hazard risks, consideration of stakeholder engagement outcomes, and an assessment against economic parameters and sustainability. Such measures are guided by the applicable legislation and industry standards which include the NSW Coastal Management Manual and the NSW Dune Management Manual (Coastal Dune Management: A Manual of Coastal Dune Management and Rehabilitation Technique, NSW Government 2001).
Bushcare/Parkcare action plans
Individual Bushcare and Parkcare action plans are written in accordance with the Bushcare/Parkcare Policy and the Bushcare/Parkcare Procedures. The action plans are not reserve plans of management, but subsidiary action plans for the volunteer groups that must be consistent with legislation, and generic or specific plans of management, and relevant overarching strategic plans, such as CMPs. Most Bushcare group action plans predominantly include weed removal, allowing for the natural regeneration of the natural vegetation. Infill planting of larger areas, cleared of weeds within existing native vegetation areas is the most significant form of revegetation. Rarely, new areas of revegetation are included. Similarly, Parkcare groups do little revegetation, and mostly within areas cleared of weeds.
Vegetation Vandalism Prevention Policy
The Vegetation Vandalism Prevention Policy has been prepared to reduce the levels of vegetation vandalism within the Shoalhaven. It articulates the actions that Council may take in response to vegetation vandalism on public land and includes rehabilitation of vandalism areas, including foreshores.
Section 3.7. of the policy states that ‘Rehabilitation of areas impacted on by vegetation vandalism will be carried out by Council in the following way’:
a) Vegetation vandalism sites within natural areas will be rehabilitated as a matter of priority to reduce the long-term and cumulative environmental, social, economic, and cultural impacts. The aim of such rehabilitation will be to restore a plant community structure that would naturally occur in the impacted-on area.
b) Replanting will occur and Council will replace vandalised vegetation with the same vegetation type (i.e., trees, shrubs, and ground covers) at a ratio of five to one.
c) Consideration is to be given to planting fast-growing and advanced plants.
Internal Consultations
Notification and consultation between Environmental Services & Ranger Services (City Development), and Works and Services (City Services) is provided through delivery of foreshore revegetation works. Internal collaboration ensures appropriate management in consideration of land use types and hazard/risk management in consideration of organisational roles and responsibilities, and subject matter expertise.
External Consultations
Throughout development of the CMPs, external consultation has been carried out with a range of representatives from State Government Agencies, adjacent local Councils and Non-Government Organisations. These include:
· NSW Department of Planning and Environment – Environment and Heritage (DPE, now the Department of Climate Change, Energy, the Environment and Water (DCCEEW)), and Crown Lands
· NSW Department of Primary Industries and Regional Development (DPIRD) – Fisheries (including the Jervis Bay Marine Park).
· Transport for NSW (TfNSW)
· National Parks and Wildlife Service (NPWS)
· State Emergency Services (SES)
· Local Land Services (LLS)
· Eurobodalla Council
· Kiama Council
· Jerrinja Local Aboriginal Land Council (LALC)
· Jerrinja Tribal Group
· Ulladulla LALC
Consultations was undertaken to obtain feedback on the existing coastal hazards, risks, and opportunities within the Shoalhaven LGA, as well as the development and implementation of identified management actions. Throughout this process, external entities have provided information to support Council in developing a CMP that meets statutory obligations for the management of the coastal zone within the relevant CMP Study Area. Letters of support from the relevant NSW State Government agencies are attained prior to the certification and Gazettal of CMPs.
Community Consultations
Consultation measures undertaken in the preparation of applicable Plans of Management are referred to in detail within the respective plans (links provided above). Measures utilised in the development of PoMs referred to within this report included reference to specific consultation studies and surveys, consultation with relevant agencies, community forums, advertisements and public exhibition periods. The specific outcomes of such are critical in development and adoption of each PoM.
Detailed stakeholder and community engagement strategies are also developed as part of the CMPs, outlining the timing, content, and engagement methods to be utilised for all community and stakeholder engagement activities. Engagement strategies are developed in line with CMP Engagement Guidelines developed by the NSW State Government (DCCEEW), the Shoalhaven City Council Community Engagement Strategy and the use of the International Association for Public Participation (IAP2) guidelines. Engagement outcomes inform the development and subsequent certification and gazettal of the CMPs.
During the development of the CMP, the Council employed a diverse range of strategies to actively engage with the community. These methods have included the following:
· Social media posting and advertising
· Council’s Community newsletter
· Community Information drop-in sessions and workshops
· Council media releases
· Installing signs in beach and foreshore areas (e.g. beach access tracks, watercraft facilities)
· Emails to a well-developed stakeholder list to provide project updates and promote upcoming engagement opportunities.
· Correspondence with Council’s Community Consultative Bodies
· Email to subscribers of the Get Involved page
· Face-to-face meetings with our Indigenous stakeholders
· External Government workshops
· Internal Government workshops
· Radio advertising
· Newspaper advertising
As a result, Council developed an extensive database of individuals interested in being engaged on the progression of the CMP through each stage of development.
Policy and Statutory Implications
Primarily policy and statutory requirements are provided in detail within the report and include the LG Act, CM Act, Foreshore Reserves Policy and Vegetation Vandalism Prevention Policy. All of such are considered through development of the CMPs which are prepared in accordance with the NSW Coastal Management Framework, under the CM Act. Council’s preparation of CMPs is in accordance with relevant legislation, environmental planning instruments and statutory guidelines applicable to the coastal zone within the CMP Study Area. Furthermore, as part of the CMP development process, NSW DCCEEW is required to confirm that the CMP satisfies the objectives of the CM Act and the mandatory requirements for a CMP as set out in the Coastal Management Manual.
Financial Implications
Nil. The report is provided for information.
Risk Implications
Council is working in accordance with the provisions of applicable legislation including but not limited to, the Coastal Management Act (2016), the Local Government Act (1993) and the Crown Land Management Act (2016). There is a high level of risk that actions contrary to those permissible under relevant legislation and regulation could breach the statutory obligations of Council.
In particular it is to be noted that, in consideration of the parameters of the aforementioned legislation, management of land in the coastal zone that does not align with the Coastal Management Program (as has been delivered under the Coastal Management Act (2016)) may not meet exemption from liability parameters provided by Section 733 of the Local Government Act (1993), which details applicable good faith provisions.
|
|
Ordinary Meeting – Tuesday 13 May 2025 Page 0 |
CL25.152 Post exhibition report - Planning Proposal: 131 St Vincent Street, Ulladulla
HPERM Ref: D25/144300
Department: Strategic Planning
Approver: Lindsay Usher, Acting Director - City Development
Attachments: 1. External agency responses (combined) - 131 St Vincent Street, Ulladulla (under separate cover) ⇨
2. Summary of Submissions - 131 St Vincent Street, Ulladulla (under separate cover) ⇨
3. Proponent's Additional Information Cover Letter - 14/1/2025 (under separate cover) ⇨
4. Fisherman’s Bend Urban Renewal Project - process for considering sensitive uses within buffer (under separate cover) ⇨
Purpose:
Report the feedback received from the public exhibition and government agency consultation and obtain Council’s direction on the finalisation of the Planning Proposal (PP076).
|
Property Address |
131 St Vincent Street ULLADULLA |
|
Property Details |
Lot 26 DP759018 and Lot 14 DP 1105304 (current Bunnings site) |
|
Proponent |
SMEC Pty Ltd |
|
Owner |
Ulladulla Precinct Trust |
|
Current land use zoning |
Current: E4 General Industrial |
|
Current building LEP height limits |
11 m |
Summary and Key Points for Consideration:
· The land (current Bunnings site) is part of an industrial and productivity support precinct on the southwestern side of the Ulladulla CBD.
· The Planning Proposal (PP) (Planning Portal ref: PP-2024-109) seeks to amend the Shoalhaven Local Environmental Plan (LEP) 2014 to:
o Rezone the land to MU1 Mixed Use
o Increase the maximum height of buildings to a mix of 15 m, 17 m, and 21m (partly).
o Introduce a Floor Space Ratio of 3.5:1 across the site.
· The proponent’s intended outcome is ultimately a new mixed-use residential and commercial development (subject to rezoning and development consent).
· On 20 May 2024, Council resolved to support (MIN24.273) the PP ‘in-principle’ subject to independent reviews of the proponent’s key studies and further assessment including analysis of vacancy rates in the CBD to establish the need for additional commercial space.
· The proponent was prepared to carry out the additional assessment, however the NSW Department of Planning, Housing and Infrastructure (DPHI) determined it was unnecessary and issued a favourable Gateway determination for the PP to advance.
· The PP was subsequently publicly exhibited from 25 November 2024 to 15 January 2025 and a total of 17 submissions were received, including:
o Additional information from the proponent in response to a Council request.
o The owners of the adjacent concrete batching plant opposed the PP due to potential land use conflicts and impacts on its future operations.
o The Ulladulla and Districts Forum CCB supported the need for housing in Ulladulla but raised concerns and questions.
o Two community submissions supporting, citing issues like housing supply, affordability, economic stimulus, and infill development.
o Twelve community submissions opposing, citing concerns about bulk, scale, local character, amenity, infrastructure adequacy, land use conflicts, and health impacts (e.g. dust and noise from the concrete batching plant). The EPA also raised land use conflict concerns.
· Given the feedback received, it is important that land use conflict concerns are more fully considered before the PP is finalised to help ensure that the proposed mixed-use zoning will not ultimately compromise or limit the long-term viability of the adjacent industrial operations or the amenity of future residents and other sensitive uses.
· The proponent believes this can be addressed at the development application stage. However, the focus of an assessment at this stage would potentially be somewhat limited because development consent conditions cannot be imposed on adjoining land for example.
· Council is also potentially unlikely to be the determining authority for a future development application as the proponent may pursue the available State Significant Development (SSD) pathway following the completion of the PP. Note: the NSW Government is also currently proposing to reduce the minimum mandatory exhibition period for certain residential SSD projects from 28 days to 14 days (EP&A Act Amendment Bill).
|
That Council: 2. Consult with the owner of the adjacent concrete batching plant (Heidelberg Materials) to better understand the existing site operations and future plans. 3. In collaboration with the proponent, commission an independent desktop review of the proponent’s Air and Odour Assessment and Acoustic Assessment and risk assessment of land use conflict issues (noise and dust) raised in community and agency submissions as follows: a. The scope of the desktop assessment, project brief and list of consultant/s be agreed to with Council staff. b. The proponent fund and commission the assessment to streamline the procurement process. c. The draft report is reviewed by Council staff. 4. If the independent review concludes that the risks can be satisfactorily addressed through suitable provisions in the Local Environmental Plan (LEP) amendment and at development application stage, finalise the Planning Proposal as exhibited subject to the following: a. Liaise with the NSW Department of Planning, Housing & Infrastructure (DPHI) on a potential local provision that to be included in the amendment that requires the delivery of the promised affordable housing outcomes, given that the Gateway determination does not require a Voluntary Planning Agreement to be entered into before the LEP is amended. b. Acknowledge that the height and floor space ratio (FSR) controls resulting from this Planning Proposal will potentially be increased by 20 to 30% under the affordable housing bonus incentives in the Housing State Environmental Planning Policy. 5. If the independent review concludes that the land use conflict risks cannot be satisfactorily addressed at development application stage, report the matter back to Council for direction.
|
Options
1. Undertake an independent desktop assessment of the land use conflict and health concerns raised in submissions before finalising the PP.
Implications: This option is recommended as it will ensure that potential land use conflict and health concerns are adequately consider before the LEP is amended. If necessary, this allows the PP to be refined, and strategies developed to help mitigate potential conflicts.
As part of this, the concrete batching plant owner would be consulted to better understand their operations and future plans. This will assist the proposed independent assessment that is suggested. This approach recognises the current regional importance of the concrete batching plant and is also consistent with recommendations of a noise and dust buffer assessment completed for a large-scale Urban Renewal Project in Melbourne (Fisherman’s Bend) that is discussed later in this report.
If Council is also of the view that the proposed floor space ratio (FSR) should be closer to the FSR calculated from the proponent’s concept plans, and that the height and FSR controls should be reduced to allow for the affordable housing bonus incentives, the following wording could be added after part 4b of the recommendation.
c. Reduce the proposed FSR to 2:1; and reduce the proposed height limit for the southern part of the site from 21 m to 17 m and the proposed height limit for the northwestern part of the site from 17 m to 13 m.
Notes:
· The FSR calculated from the proponent’s concept plans is 2.1:1.
· The affordable housing bonus incentives allow heights and FSR to be increased by 20 to 30%, if at least 10 to 15% of the development’s gross floor area is set aside as affordable housing for at least 15 years.
· The FSR bonus applies to the whole of the development, not just the residential component. The height bonus only applies to the residential component.
Assessing land use conflict concerns before the land is rezoned is preferable and will enable more holistic solutions to be considered (ideally informed by feedback from the concrete batching plan owner about their future plans) than if this is left or deferred to the development assessment stage.
2. Not undertake an independent desktop assessment of the land use conflict and health concerns raised in submissions, and finalise the PP.
Implications: This option will see further consideration of the land use conflict concerns at the development assessment stage.
If the land is developed as proposed and land use conflict arises, e.g. due to dust and/or noise emissions, the options for addressing the cause of complaints from the residents will be very limited. This option could also delay the development assessment process and increase the potential for it to be determined in the NSW Land and Environment Court.
This option is fundamentally limited because consent conditions cannot be imposed on land that is not part of the development proposal (i.e. there would be no ability to impose conditions on the existing concrete batching plant).
Council could seek to include a local clause in the LEP amendment to require a Development Control Plan (DCP) to be prepared to help address land use conflicts. However, DCPs do not apply to State Significant Development (SSD) and the proponent has indicated they intend to pursue the SSD pathway available via the Housing Delivery Authority.
The proponent’s view is that the land use conflict can be adequately addressed at the development application stage (i.e. as part of the required Environmental Impact Statement (EIS) for SSD).
Should Council wish to finalise PP without assessing the land use conflict and health concerns further at this point, the following wording could be used to form a recommendation:
That Council:
1. Acknowledge the NSW Environment Protection Authority and community comments and concerns about potential land use conflict associated with noise and dust from the adjacent concrete batching plant.
2. Liaise with NSW Department of Planning, Housing & Infrastructure regarding a potential local provision that requires the promised affordable housing outcomes to be delivered
3. Acknowledge that the height and floor space ratio (FSR) controls established by this Planning Proposal will potentially be increased under the affordable housing bonus incentives in the Housing SEPP
4. Finalise the Planning Proposal subject to above.
Consistent with Option 1, if Council is of the view that the proposed FSR should be closer to the FSR calculated from the proponent’s concept plans, and that the height and FSR controls should be reduced to allow for the affordable housing bonus incentives, the following wording could be added after part 3 of the recommendation.
Reduce the proposed FSR to 2:1; and reduce the proposed height limit for the southern part of the site from 21 m to 17 m and the proposed height limit for the northwestern part of the site from 17 m to 13 m.
3. Adopt an alternative recommendation.
Implications: This will depend on the nature of any recommendation. Any alternative approach would need to be consistent with the statutory procedures for PPs and Council’s role as Planning Proposal Authority (PPA).
Background and Supplementary information
Subject land
The subject land comprises Lot 26 DP 759018 and Lot 14 DP 1105304 located at 131 St Vincent Street, Ulladulla – see Figure 1 below. The existing Bunnings Warehouse (hardware and building supplies) currently operates at the site, but it will relocate to a new approved site in due course.

Figure 1 – Subject Land
Planning Proposal Overview
The proponent’s original PP application sought to rezone the land from E4 General Industrial to MU1 Mixed Use, increase building height limits up to 30 m and apply a Floor Space Ratio (FSR) of 3.5:1.
On 20 May 2024 Council resolved to support the PP ‘in-principle’ based on the proponent’s suggested reduced height of up to 21 m (MIN24.273) and subject to:
1. The inclusion of a recommendation for Gateway condition to complete an independent review of the proponent’s key studies, including:
a. Urban Design and Visual Impact Assessment
b. Economic Impact Assessment
c. Feasibility Assessment
d. Air and Odour Assessment
e. Acoustic Assessment
2. Modification of the maximum height of the building in accordance with the Proponent’s offer of 5 April 2024, by adopting a split height of 15m, 17m and 21m under Clause 4.3 of the SLEP 2014.
3. Consideration of options to amend the proposal to minimise health risks and land use conflict.
4. Detailed vacancy analysis of the existing town centre to determine if there is a need for additional mixed use-zoned land.
5. Creating a more detailed 3D model of the surrounding landscape and built form to enable the visual impacts to be better assessed.
6. All costs associated with the above to be met by the proponents in accordance with Council’s Guideline for Proponent Initiated Planning Proposals (PPs).
A favourable Gateway determination was issued on 10 September 2024 by DPHI, allowing the PP to proceed further and did not require any of the independent reviews or resolved work to be completed – see below.
Gateway Determination Conditions
The conditions in the Gateway determination are summarised below.
Table 1 – Summary and status of Gateway conditions
|
Gateway condition |
Status |
|
1. The PP maps to be updated to clearly show the subject land |
Completed. Updated PP maps were included in the proponent’s updated PP |
|
2. RFS to be consulted prior to exhibition in relation to Direction 4.3 Planning for Bushfire Protection |
Completed. A Strategic Bushfire Assessment was prepared as required by the RFS. Refer to External Consultations section below. |
|
3. Public exhibition (a) PP categorised as ‘standard’ - must be publicly exhibited for 20 working days (min) (b) General public notice requirements |
Completed. |
|
4. Government agency consultation requirements |
Completed – refer to External Consultations. |
|
5. Public hearing is not mandatory |
N/A |
|
6. Council appointed as the Planning Proposal Authority (PPA) subject to: |
|
|
(a) satisfaction of Gateway conditions |
Completed. |
|
(b) the PP is consistent with the relevant Ministerial Directions or the Secretary agrees that any inconsistencies are justified |
The Gateway assessment stated that the PP is inconsistent with Direction 7.1 Employment zones, but concluded that this inconsistency is justified. Supply and demand of industrial and commercial land is discussed under Policy Implications. |
|
(c) there are no outstanding written objections from public authorities |
There are no outstanding agency objections as such. |
|
7. The LEP is to be completed by 10 September 2025. |
DPHI has indicated a willingness to consider an extension should additional time be needed to address the land use conflict concerns raised in submissions. |
This report provides further information on the above and related matters in fulfilment of Council’s role as the PPA.
Internal Consultations
The following Council teams have been consulted in relation to the PP (including in the pre-lodgement process):
· City Development: Development Services, Environmental Services (Environmental Health)
· Shoalhaven Water
· City Services (Principal Traffic Engineer, Waste Services)
· Economic development
External Consultations
The consultation that has occurred with Government agencies, as required by the Gateway determination, is summarised in below.
Table 2 – Summary of Government agency consultation
|
Agency |
Issues Raised |
Additional Information Response from Proponent |
|
NSW Rural Fire Service |
Correspondence dated 30 September 2024 and 11 October 2024, advised that a Strategic Bushfire Assessment and an amended Traffic Impact Statement is required.
|
SMEC provided an amended Traffic Impact Statement and prepared a Strategic Bushfire Report in their letter dated 14 January 2025 that was provided as a public submission. |
|
NSW Environmental Protection Authority |
The proposed LEP amendment may: · Increase the number of sensitive receivers adjacent to existing commercial and industrial premises which is likely to generate land use conflict issues such as noise · Interact with potential contamination at the subject site during demolition and construction Further advice was provided regarding the management of air quality and appropriate site selection. |
In its letter dated 14 January 2025, SMEC provided commentary regarding the potential contamination issues and the proposed future investigations. Additional information regarding potential land use conflict issues is not directly discussed in the letter. The EPA subsequently advised that this is ultimately a matter for Council to consider/determine in its role as PPA. |
|
Transport for NSW |
No objection. |
N/A |
|
Endeavour Energy |
Outlined future development application considerations. No objection. |
N/A |
|
Jemina (Gas) |
DPHI subsequently advised a referral was not required. |
N/A |
|
Shoalhaven Water |
Future development of this scale will require enhancements to water and sewer networks to ensure sufficient service. A Wastewater Servicing Strategy Report and a Water Servicing Plan or Strategy must be submitted. Fire booster pumps cannot be directly connected to a Shoalhaven Water watermain. |
N/A |
While the EPA raised concerns about potential land use conflict associated with noise and dust emissions from the adjoining concrete batching plant (also raised in adjacent landowner/community submissions), it was also noted that it should not be “interpreted as the EPA’s stance on the proposal” and is “advisory in nature to assist with Council’s assessment of the planning proposal”. Given the nature of this submission, it still warrants due consideration by Council as part of the progression of this PP.
In summary, there are no outstanding formal objections to this PP from Government agencies, subject to further assessment of relevant matters as part of any future development. A copy of the agency responses is contained in Attachment 1.
Community Consultations
The PP was formally exhibited from 25 November 2024 to 15 January 2025 (inclusive) on Council’s website. The exhibition material included (links provided) the following:
· Explanatory Document - (899kb)
· Planning Proposal - (11,680kb)
· Appendix A - Architectural Plans - (30,208kb)
· Appendix J - Feasibility Assessment - (3,106kb)
· Appendix K - Draft VPA_PP-2024-109 letter of offer - (307kb)
· Appendix L - Cost estimate Ulladulla Order of Cost - (951kb)
· Appendix B - SCC - Existing & Proposed LEP maps - (284kb)
· Appendix C - Traffic Impact Assessment Report - (6,070kb)
· Appendix D - Acoustic Assessment Report - (2,880kb)
· Appendix E - Preliminary Site Investigation - Amended - (9,143kb)
· Appendix F - Air and Odour Assessment Report - (5,844kb)
· Appendix G - Urban Design Assessment and Visual Impact Assessment - (77,805kb)
· Appendix H - Economic Impact Assessment - (1,752kb)
· Appendix I - Social Impact Assessment - (10,886kb)
· Gateway Determination - (43kb)
A newsfeed about the exhibition was posted on Council’s dedicated Get Involved project page. Key stakeholders, including Community Consultative Bodies (CCBs), were also directly notified in writing of the exhibition arrangements.
A total of 17 submissions were received. The issues supporting and against the PP are summarised below. A fuller response to submissions is provided in Attachment 2, which also includes a more detailed submission summary.
Support
+ Design is complementary to Ulladulla’s existing character
+ Supports local economic growth by attracting businesses and creating jobs during both construction and operation.
+ Follows positive precedent set by projects in Wollongong, Nowra and Batemans Bay.
+ Will utilise existing infrastructure
+ Will help to meet population trends and aligns with the Illawarra-Shoalhaven Regional Plan 2041, emphasising infill development over expansion into rural areas
+ Provides key worker housing and childcare services
+ Proximity to CBD encourages public and active transport modes to be used
+ Additional housing will improve supply, affordability and diversity of housing in Ulladulla
Against
- Bulk and scale may harm Ulladulla’s existing character
- Will potentially increase commercial vacancy rates in Ulladulla. Nearby building on Parson Street has been available for both rent and sale for ~6 years.
- Undesirable precedent for more large scale development in Ulladulla and surrounds.
- Claimed community and economic benefits have not been verified and seem optimistic.
- Insufficient infrastructure to support growth, including schools and hospitals
- Potential land use conflict with adjacent concrete batching plant. Potential negative health impacts from dust and particulate matter from the concrete batching plant on future residents and users of the site.
- Insufficient / inconclusive noise data regarding the concrete batching plant.
- Active and public transport – impact of terrain on walkability, distance to Post Office and other places of interest >350 m e.g. bus stops 500 & 800 m. Bus services are infrequent.
- Affordability concerns and risk of short-term rental accommodation (STRA) reducing permanent housing availability.
- Poor visual amenity of concept plans.
- Proposed height is out of character.
- Risk of wind vortex impacts on surrounding buildings.
- Overshadowing of the Dunn Lewis Centre.
- Inconsistency with the Shoalhaven Local Strategic Planning Statement (LSPS) objective “to retain and manage existing industrial land”.
- Traffic congestion will be exacerbated by the development.
- The proposed development does not meet local demand for lower-density homes.
Concerns about land use conflict and potential health implications are discussed more fully, but briefly, below.
Discussion – land use conflict comments
Council’s resolved May 2024 position supports the proposed large-scale mixed-use brownfield development in principle, highlighting its potential to boost housing supply and stimulate the economy. However, the resolution also calls for further assessment of specific aspects of the proposal and requests adjustments to building heights and floor space ratios (FSR) before rezoning the land.
The submissions received highlight that while certain concerns can be addressed during the development assessment process, the proposed LEP changes are significant, particularly regarding new permissible uses and the bulk and scale of the development. It is also noted that the future development proposal could ultimately be State Significant Development (SSD) and, therefore, would not be assessed by the Council. Development Control Plans (DCPs) do not apply to SSD, i.e. the Shoalhaven DCP 2014 is unlikely to be a significant consideration.
Submissions from the community, the adjoining concrete batching plant owner (Heidelberg Materials), and the EPA all provide comment or raised concerns about the potential land use conflicts that could arise in relation to the adjacent batching plant and other nearby industrial uses.
The community submission referred to above also specifically mentions the Fisherman’s Bend Urban Renewal Project in Melbourne, where a staged implementation plan approach was developed to allow a smooth transition from industrial to mixed-use development. Information on this renewal project has been reviewed, and the pertinent aspects are discussed below.
Proponent’s response to EPA letter
SMEC provided additional information as a public submission in response to matters raised by the EPA and RFS. Their response is provided in Attachment 3.
In relation to the EPA’s comments, SMEC’s response only addressed the land contamination aspect. The concerns around health risks and potential land use conflict were not addressed, and likely mitigation measures were not suggested.
In relation to land use conflict, DPHI’s Gateway assessment stated:
“The existing surrounding and established development is not considered to be detrimental to the proposed future use of the subject site, with the existing surrounding uses considered generally complementary to the proposed development, the subject of the PP. Adjoining land owners will be consulted on the proposal enabling them to raise any concerns.”
The concrete batching plant owner expressed concerns about land use conflict and the potential resulting impact on the plant's future. They also argued that the noise monitoring in the acoustic assessment was unrepresentative, as it was conducted during wet weather. This would be considered as part of a proposed independent review if supported. The potential land use conflicts associated with the adjacent concrete batching plant are discussed further below.
The concrete batching process involves the addition of cement, aggregate, sand, water and chemical admixtures in varying quantities to produce concrete. These raw materials are stored in a silo, ground bins or tanks prior to being weighed and discharged directly into a concrete agitator truck where they are mixed to produce concrete. The key potential issues relate to noise and dust, and associated health concerns. These are discussed below.
Dust: Can potentially be emitted from vehicle movements on unsealed working areas, disturbance by vehicles of cement and aggregate dust on the ground, blow-outs from cement storage silos, and vehicle loading and unloading (South Australia EPA[1]) fines in spillage on the road and yard, fugitive emissions from bunkers and conveyors, aggregate stored in stockpiles and fabric filters (GHD, 2016[2]). While these risks can be minimised by applying best practice management, unintended emissions can still occur, e.g. due to extreme weather, mechanical breakdowns or operational failures.
Noise: Concrete batching plants commonly operate from the early hours of the morning. Sources of noise can include loading/unloading of materials, associated vehicle movements (including reversing beepers), the vibration of the concrete agitator and general machine noise from the plant.
Potential health impacts: A community submission raised concerns about long-term health implications for residents living beside a concrete batching plant, contending that dust emissions could potentially cause respiratory, cardiovascular, and other health complications. The submission refers to a ‘safety alert’ by WorkCover NSW in 2012[3] where a concrete batching plant worker developed Chronic Obstruction Pulmonary Disease after inhaling cement dust during an accidental uncontrolled release of cement dust during a concrete batching operation.
A material data safety sheet for general purpose concrete includes the following health warnings:
· Eye: Irritant upon contact with dust. Over exposure may result in pain, redness, corneal burns and ulceration with possible permanent damage.
· Inhalation: Irritating to the respiratory system, causing coughing and sneezing. Over exposure may result in severe mucous membrane irritation and bronchitis. Hexavalent chromium is reported to cause respiratory sensitisation, however due to the trace amount present, a hazard is not anticipated under normal conditions of use. Crystalline silica can cause silicosis (lung disease) with chronic over exposure, however due to low levels present and product application, adverse health effects are not anticipated.
· Carcinogenicity: Concrete is not classified as a carcinogen by NOHSC. Crystalline silica and hexavalent chromium compounds are classified as carcinogenic to humans (IARC Group 1), however due to low levels present and product application, the criteria for classification is not met.
· Skin: Irritating to the skin. Prolonged and repeated contact with powder or wetted form may result in skin rash, dermatitis and sensitisation.
According to the Victorian EPA[4]:
“Concrete batching facilities … …can result in the emissions associated with the facility adversely affecting the surrounding environment, amenity and human health.”
“Even when a concrete batching plant is operating in accordance with all relevant statutory obligations, there may still be unintended offsite impacts that must be accounted for. Separation distances are designed to account for such impacts and at the same time minimise the risk of human health and amenity impacts on any nearby sensitive land uses. However, they are not an alternative to controlling offsite impacts or meeting legal obligations.”
Some State jurisdictions have recommended buffers specifically for concrete batching plants, e.g., 200 m in South Australia, and 100 m in Victoria (> 5,000 t/year). NSW does not however have a recommended buffer, but development applications for concrete works within 250 metres of a residential zone or a dwelling not associated with the development are designated development under the Environmental Planning and Assessment Act.
History and status - adjacent concrete batching plant
The plant is believed to date back to the 1970s and potentially operates under ‘existing use’ rights. A development application (DA22/1610) to install a new silo at the plant was refused on 30/6/2023 because it was not lodged as designated development and accompanied by an Environmental Impact Statement (EIS) meaning that it could not be lawfully approved.
Any new development approval for a concrete batching plant would include conditions to help minimise dust and noise at the facility, such as stockpile management, transport and processing. There are no such conditions in respect of the adjacent concrete batching plant, which, as noted above potentially has existing use rights.
Furthermore, concrete batching plants have generally not required an Environment Protection Licence (EPL) since the NSW Protection of the Environment Operations Act 1997 (POEO Act) was amended in 2019 to reduce the administrative burden on the EPA.
It is understood that Council has not undertaken any compliance inspections of concrete batching plants since at least 2019. Over the years however, Council has received complaints of dust emissions from concrete batching plants. Compliance action was taken in 2011 regarding the adjacent concrete batching plant.
The POEO Act includes compliance and enforcement options, but it is difficult to retrofit industrial processes when a problem is established. The onus would be on Council to prove the air/ noise/ odour pollution is being caused, or is likely to create a pollution incident, which can be time consuming and expensive.
It is unknown if the current owner of the batching plant (Heidelberg Materials) intends to maintain the status quo, expand or relocate to an alternative site in the longer term. Further detail on the concrete batching plant operation and any future plans would help to inform the assessment of this PP.
mple: Fisherman’s Bend Urban Renewal Project, Melbourne
This larger renewal project covers 480 hectares dominated by low scale industrial and warehousing uses near the Melbourne CBD. The supporting technical studies include a noise and air quality buffer assessment prepared by GHD in 2016[5],[6]. Based on a detailed analysis of dust complaints, the Buffer Assessment recommended a 100 m ‘directional buffer’ be applied to concrete batching plants. A directional buffer allows a default buffer (100 m) to be adjusted to account for prevailing winds. The buffers are for ‘upset conditions’ only, e.g. resulting from extreme weather, mechanical breakdowns/malfunctions or operational failures.
Part B of the Buffer Assessment includes a recommended framework (shown in Attachment 4) for assessing proposals for sensitive uses within the recommended buffers. The first step is to consult with the adjacent industrial use to establish its intentions for the future. This approach should be considered for application to this PP.
An independent desktop review of the proponent’s air quality and noise assessments and land use conflict concerns would allow these issues to be more fully considered before the LEP is amended. The scope of the assessment could include:
· Undertake a desktop review of the acoustic and air quality assessments
· Assess the risk of land use conflicts and potential health risks associated with the concrete batching plant, taking into account standard operating conditions and potential upset conditions (malfunctions, extreme weather etc).
· Identify potential mitigation measures to achieve optimal development outcomes while avoiding poor amenity outcomes for future residents of the proposed development.
Floor Space Ratio (FSR) related comments
Concerns regarding floor space ratio and the scale of the development were also detailed in submissions. The proposed floor space ratio (FSR) of 3.5:1 was not amended when the heights were reduced from 30 m to 21 m. The PP does not explain how the proposed FSR was determined. Based on the commercial floor space and residential floor space totals quoted in the proponent’s architectural plans (drawing number/s PA-21-03 and PA-21-04):
· The proponent’s original concept plans (based on a maximum height of 30 m) showed an indicative total FSR of approximately 2.5:1.
· The current concept plans show an indicative total FSR of approx. 2.1:1.
As previously mentioned, the height and FSR controls in the LEP could potentially be increased by up to 30% under the affordable housing bonus incentives in the Housing SEPP.
Conclusions
Community and government agency consultation highlighted both positive and negative potential impacts of the PP. The proposal offers social and economic benefits such as increased housing supply, dedicated affordable housing, reduced urban sprawl, economic growth, job creation, and an example of urban renewal.
However, submissions also raised concerns, including the impact of bulk and scale on local amenity and character, infrastructure and community service adequacy, traffic and parking issues, land use conflict, health risks from nearby industrial uses, retention of industrial land, implications of NSW housing policy, and precedent-setting effects.
The main things resulting from the submissions that need to be considered in progressing this matter to finalisation are:
Land use conflict
· The concerns raised in submissions from the community, the concrete batching plant owner, and the EPA, should be more fully considered before the LEP is amended as proposed.
· If not assessed more thoroughly now, there will be limited ability to mitigate land use conflict at the subsequent development application stage, which could potentially be delayed or impacted as a result.
· If conflicts ultimately arise between future residents and existing industrial businesses, Council will most likely be called on to respond to complaints, as the resultant compliance enforcement and management challenges.
· It is recommended that an independent assessment of the land use conflict concerns, including a review of the proponent’s Air Quality Assessment and Acoustic Assessment be undertaken now to help inform appropriate outcomes that address the land use conflict matters if needed.
· Targeted consultation is recommended with adjacent existing industrial and commercial land uses regarding current site operations, including emission sources and previous complaint history. This should also include a discussion of intended future plans, including any potential expansion of the adjoining industrial uses. This information will help inform recommendations for any potential mitigation measures.
Building heights and FSR
· The proposed FSR of 3.5:1 should be reviewed given that it appears to be substantially greater than the FSR calculated from the proponent’s concept plans, and that it could potentially be increased by up to 30% (i.e. 4.5:1) under the affordable housing bonus incentives.
· Similarly, Council should consider that the building heights set in the LEP could be increased by up to 30% if the development meets the NSW affordable housing bonus incentives.
Affordable housing
· Ideally a local clause should be included in the LEP amendment to help ensure that the promised affordable housing outcome is achieved without necessarily relying on the NSW affordable housing bonus incentives discussed earlier.
Policy and Statutory Implications
Strategic growth principles
The land’s close proximity to the Ulladulla CBD is consistent with strategic growth principles adopted by Council on 17 December 2024 [emphasis added] and which have been added to the LSPS:
1. Additional greenfield development will be focused on cleared, unvegetated land, strategically located to make efficient and cost-effective use of existing and planned infrastructure.
7. Facilitate an increase in housing diversity in established neighbourhoods to provide a greater variety of homes which contribute to existing and desired future character
The PP will also potentially contribute 182 new dwellings to NSW Government housing target for Shoalhaven of 4,900 new home completions by 2029.
The promised affordable housing outcome is generally consistent with Council’s Affordable Housing Strategy. However, unless the proponent’s offer to enter into a Voluntary Planning Agreement (VPA) is progressed and finalised as part of the PP process, there is no guarantee that this will ultimately be delivered if the land is rezoned. As already noted, the Gateway determination does not require the VPA to be completed before the PP is finalised.
The provision of mixed-use, commercial, childcare and higher density housing needs to be balanced with the consideration of the long-term liveability, amenity and sustainability of the communities in which it will be located.
Industrial land supply
The PP however also poses a challenge for Council’s policy position of protecting existing industrial land from competing pressures. LSPS Planning Priority 9 is to: “Retain and manage existing zoned industrial land, including from rezoning for other purposes, while future need is established”. The PP is inconsistent with the stated goal of safeguarding existing industrial land from competing pressures. It will reduce the total area of industrial land and will potentially create land use conflict with the adjoining industrial land.
Council’s Economic Development and Development Services sections previously noted a shortage of developable industrial land in Ulladulla. Although there is a substantial amount of industrial zoned land, various environmental, contamination, and tenure constraints make development unlikely in the near future. Additionally, there is no set timeline for the remediation of the Ulladulla STP site, and its redevelopment remains uncertain.
The South Nowra Employment Precinct (SNEP) is a regionally significant employment land precinct that is identified by the ISRP 2041. There is a risk that the rezoning of the subject land may encourage similar rezoning requests for industrial land elsewhere in the City.
Commercial floor space
The Gateway determination did not require a vacancy analysis of commercial floor space. The exhibited PP notes that the Ulladulla CBD has approximately 30,000 m2 of commercial floor space, of which 3% was available for lease in November 2023. The proposal seeks to add almost 6,000 m2 of commercial floor space, representing an increase of ~20%.
A vacancy analysis conducted on Council’s behalf in 2021 found that commercial land in Ulladulla had a vacancy rate of 7% compared to 5.7% for the broader Milton Ulladulla area. HillPDA considered that these vacancy rates were within the healthy range (3-8%) for a functioning business centre (HillPDA, 2021).
Financial Implications
There are no immediate financial implications for Council because the PP is funded by the proponent consistent with Council’s fees and charges.
If the PP proceeds, any potential broader infrastructure improvements (and costs) will need to be considered as part of the assessment of future development applications.
Risk Implications
Finalising the LEP amendment without the suggested peer reviews poses a risk of land use conflict between future residents and the existing concrete batching plant. The proximity of sensitive uses, such as homes and a childcare centre, to the plant without proper mitigation could create significant health risks. An independent assessment of these risks and conflicts should be conducted before rezoning to ensure a balanced approach to development.
A desktop review should evaluate the likelihood and severity of risks while considering mitigation measures to protect residents and optimise the land’s potential. Input from the plant operator should be incorporated into the assessment. Addressing these conflicts beforehand can prevent delays during development approval and is economically vital, as the batching plant is the only one serving the Milton-Ulladulla area.
|
|
Ordinary Meeting – Tuesday 13 May 2025 Page 0 |
CL25.153 Exhibition Outcomes and Proposed Finalisation - Draft Shoalhaven Community Participation Plan 2025
HPERM Ref: D25/148893
Department: Strategic Planning
Approver: Lindsay Usher, Acting Director - City Development
Attachments: 1. Post exhibition amendments from internal review ⇩
2. UDIA Submission on Draft Shoalhaven Community Participation Plan 2025 ⇩
Purpose:
This report details the outcomes of the public exhibition of the draft Community Participation Plan 2025 and seeks Council’s endorsement to finalise the Plan.
Summary and Key Points for Consideration:
During February and March 2025, Council exhibited the draft Shoalhaven Community Participation Plan (CPP) 2025 (link to document). The draft Plan outlines how Council will engage with the community on matters relating to land use planning and development. It sets out community participation opportunities and explains how and when communities will be involved when Council exercises its land use planning and development approval functions.
The preparation, publication, and review of a CPP is a legal requirement for Council under the NSW Environmental Planning and Assessment (EP&A) Act 1979. In finalising the draft Plan, Council is required to consider the matters raised in the submissions responding to the exhibition of the draft Plan. This report summarises the submissions and recommends adjustments to the draft Plan for Council’s consideration.
Once finalised, the draft Plan will replace Council’s existing CPP originally adopted and published in 2019. The new Plan will form part of Council’s broader Community Engagement Strategy 2025-2029 which was recently adopted and published by Council. The draft Plan also simplifies Council’s related policy framework by incorporating the relevant requirements from the Community Consultation Policy for Development Application (including Subdivision). This policy will be rescinded on finalisation of the Plan.
|
That Council: 1. Adopt the exhibited draft Community Participation Plan 2025 with the following adjustments that respond to matters raised during the exhibition period: a. Amendment of the second dot point in “Extension of Exhibition Timeframes” (page 18) relating to exhibition over the Christmas and New Year period as follows: “For significant strategic planning documents, or development applications (DAs) that are: 1) Classified as Level 3 or above*, and 2) Placed on exhibition between the end of the first full week in December and 15 January, inclusive, the public exhibition and submissions period will be extended to 31 January, at a minimum. * Refer to Table 2: Consultation for Development Matters and Appendix B: Community Consultation Matrix for Development Applications (DAs) for development categories.” b. Inclusion of the following additional advisory note on page 7: “Council encourages developers and applicants to consult early when providing pre-lodgement advice on rezoning proposals and development applications.” c. Minor and procedural amendments identified via internal review, as detailed in Attachment 1. 2. Incorporate the Community Participation Plan 2025 into Council’s recently adopted Community Engagement Strategy 2025-2029 as Chapter 2, replacing the current Community Participation Plan 2019. 3. Publish the Community Participation Plan 2025 on Council’s website and the NSW Planning Portal. 4. Rescind Council policy POL22/8: Community Consultation Policy for Development Applications (including Subdivision), following the addition of the new Community Participation Plan to Council’s Community Engagement Strategy 2025-2029.
|
Options
1. As recommended.
Implications: Finalising the draft Plan ensures relevant matters raised in response to the exhibition are incorporated into the final Plan, improving its function and ease of use. The subsequent incorporation of the final Plan into Council’s broader Community Engagement Strategy 2025-2029 and rescission of POL22/8: Community Consultation Policy for Development Applications (including Subdivision), reduces duplication and confirms Council’s commitments to community engagement in a single document.
2. Make an alternative decision, including not to adopt and finalise the draft Plan.
Implications: Subject to the nature of the decision, the finalisation of the draft Plan may be delayed or not proceed. Council’s current Community Participation Plan and associated policies will continue to guide Council’s community engagement activities. The current Plan and associated policies are not contemporary and do not meet legislated requirements or meet community expectations.
Background and Supplementary information
The planning legislation requires Council to prepare a CPP which outlines how Council will engage with the community on matters relating specifically to land use planning and development matters. The legislation also requires Councils to review and amend their CPP periodically to ensure it remains contemporary.
Council’s first, and current, Plan was published in 2019 and needs updating due to its age, recent legislative amendments, and changing community expectations about participation in planning. During late 2024, an updated draft of the Plan was prepared which incorporates:
· Relevant information from the current Plan and Council’s policy POL22/8: Community Consultation Policy for Development Applications (including Subdivision).
· Council’s resolution of 17 December 2024 (MIN24.686) extending exhibition periods for matters on exhibition between 15 December and 15 January.
The draft Plan was presented to Council on 21 January 2025 and it was resolved (MIN25.17) (in part) to “Exhibit the draft Community Participation Plan for a minimum of 28 days, with amendment to the title to add the words ‘on matters relating to planning and development’ or similar.”
The draft Plan was then publicly exhibited during February and March 2025. Seven submissions were received in response to the exhibition, including one from the Urban Development Institute of Australia (UDIA), a peak development industry body. No submissions were received from Community Consultative Bodies or Local Aboriginal Land Councils.
Key Submission Matters and Proposed Response
The following is a summary of the key matters raised in response to the public exhibition and the internal Council review, and the proposed response to manage them.
Matter 1: Extension of Exhibition Timeframes over the Christmas & New Year Period
Summary: The UDIA supported the draft Plan but expressed concerns about the extension of exhibition periods over the Christmas and New Year period. The UDIA’s submission is provided as Attachment 2.
The submission notes that extensions to exhibition periods are already compulsory under current planning legislation which sets an exclusion period between 20 December and 10 January. The UDIA views additional extension as unnecessary and raises concern about the proposed duplication, potential confusion, and importantly unnecessary lengthy exhibition periods delaying the determination of development applications and potentially delaying the delivery of new housing supply. It also notes this is at a time when:
· Council needs to meet the NSW Government’s housing targets and improve its development assessment times for the NSW Government’s League Tables.
· The development industry is seeking certainty and timely decisions.
The submission highlighted existing opportunities for Council staff to exercise discretion and permit reasonable extensions during this holiday period. It asks Council to continue to use this flexibility instead of overregulating exhibition periods, particularly for straight-forward, minimal impact development applications. The UDIA recommend the extension period be removed from the draft Plan or, at a minimum, ensure local applications are excluded from any extension.
Proposed response: The extension of exhibitions over the Christmas and New Year period resulted from a Notice of Motion to Council’s 17 December 2024 Meeting. The intent of this was to extend exhibition periods for more significant planning and development matters likely to generate high levels of public interest or require additional consideration by community representative groups.
Council resolved (MIN24.686) (in part) that “for any documents on exhibition between the period of 15 December and 15 January, the public exhibition and submission period be extended to 31 January at a minimum.”. This resolution captures all planning documents and development applications placed on exhibition over the holiday period.
Monitoring of development applications exhibited over the 2024-25 holiday period reveals that:
· Seventy-eight applications were affected, the majority of which were straight-forward, low-impact proposals (e.g. change of use, dwelling alterations, swimming pools, etc.).
· The average, original exhibition period of 23 days was extended to 42, with an average extension due to the resolution of 19 days.
· Eleven low-impact applications were due to finish their exhibition on 17 December but were re-notified following the resolution, extending the 14-day period to 59-days.
Relevant considerations in this regard also include:
· The NSW Government’s scrutiny of Council’s development assessment times and efforts to meet the NSW Housing Targets (published league tables).
· Increased risk of applications being appealed, as deemed refusals, in the NSW Land and Environment Court if they miss the mandatory determination time due to the extended exhibition requirements. Council cannot determine applications while they are on exhibition.
· The planning legislation stipulates community participation methods should be appropriate for the significance and likely impact of the proposed development.
· The draft Plan includes the discretionary power for Council to extend exhibitions of applications considered to generate adverse impacts, are complex or likely to affect a significant number of properties, or due to high levels of community interest.
It is therefore recommended the relevant provision in the draft Plan be adjusted in accordance with the following table to set clear parameters around exhibition extensions over the Christmas and New Year period to ensure minor planning and development matters are not unreasonably delayed.
|
Current Draft |
Proposed |
|
An exhibition period may be extended beyond the minimum timeframes identified in the CPP if […]: · The exhibition occurs over the Christmas – New Year period. In this instance: o The period between 20 December and 10 January (inclusive) will be excluded from the calculation of a period of public exhibition in accordance with the Environmental Planning and Assessment (EP&A) Act 1979. o For any document on exhibition between 15 December and 15 January (inclusive), the public exhibition and submission period will be extended to 31 January, at a minimum. |
An exhibition period may be extended beyond the minimum timeframes identified in the CPP if […]: · The exhibition occurs over the Christmas – New Year period. In this instance: o The period between 20 December and 10 January (inclusive) will be excluded from the calculation of a period of public exhibition in accordance with the Environmental Planning and Assessment (EP&A) Act 1979. o For significant strategic planning documents, or development applications (DAs) that are: 1. Classified as Level 3 or above*, and 2. Placed on exhibition between the end of the first full week in December and 15 January, inclusive, The public exhibition and submissions period will be extended to 31 January, at a minimum. * = Refer to Table 2: Consultation for Development Matters and Appendix B: Community Consultation Matrix for Development Applications (DAs) for development categories. |
The recommended wording ensures applications due to come off exhibition by mid-December are also not affected by extensions. It also provides more flexibility in selecting the start of the holiday period instead of setting a firm date. Importantly, it retains the ability for Council to extend exhibition periods for significant applications to ensure the community and representative groups are provided with sufficient time make a submission.
Matter 2: Early Consultation by Industry for Planning and Development Proposals
Summary: A community submission identified that the draft Plan does not include any requirement for developers to engage early with community representatives, highlighting that early and meaningful dialogue between relevant parties may encourage the submission of development proposals more likely to receive community support instead of opposition. The submitter noted that, often, community organisations wait for a developer to honour their promise to engage, only to become disillusioned when these promises are not actioned.
Proposed Response: The CPP’s role is to outline Council's obligations for community engagement, rather than those of developers. While Council cannot mandate early engagement by industry, it can encourage consultation during early pre-lodgement discussions and by including an advisory note in the final Plan. It is therefore recommended that the following note be added into the final Plan (on page 7).
“Council encourages developers and applicants to consult and engage with the community early when providing pre-lodgement advice on rezoning proposals and development applications.”
Additional Identified Amendments
During Council’s consideration of the draft Plan at its 21 January 2025 Meeting, several minor adjustments were suggested to the final Plan. These adjustments and the proposed responses are summarised below.
|
Suggested Amendment |
Proposed Adjustment |
|
Page 7: Include ways for Council to engage with the community on other matters, for example exempt and complying development, or approvals from other authorities. |
Council cannot control the engagement requirements of other approval authorities and/or development pathways set by the State Government. The current legislation requires other approval authorities for planning and development matters to also prepare a CPP. Council’s CPP confirms the consultation requirements for exempt and complying development. No changes to the draft Plan. |
|
Page 12: Clarify the lodgement of an application is by the applicant, not by Council. |
Draft Plan amended to provide clarification. |
|
Page 24: Provide an example of the notification and exhibition process for Regional DAs that are to be determined by the Southern Regional Planning Panel, particularly where changes are made during the assessment process. |
Draft Plan amended to provide an example. An example was also provided in the explanatory documents supporting the exhibition of the draft Plan. |
Internal Consultations
Various teams within the City Development Directorate participated in an internal review of the document which identified opportunities to improve the draft Plan as part of its finalisation. These proposed adjustments are summarised in Attachment 1.
Community Consultations
The draft CPP was publicly exhibited for 31 days from Wednesday 12 February to Friday 14 March 2025, inclusive. The draft Plan and supporting information were available to view online via the Documents on Exhibition page on Council’s website (link) and the Get Involved Community Engagement Strategy project webpage (link). Hardcopies were also provided at Council’s Nowra and Ulladulla Administrative Buildings.
The draft Plan was supported by an Explanatory Statement and a set of Frequently Asked Questions and Answers. Shoalhaven communities and other stakeholders were invited to provide feedback by making a written submission or completing a short online survey. Written notification of the exhibition was provided to Community Consultative Bodies, Local Aboriginal Land Councils, and Industry representatives. The exhibition was promoted through a media release, Council’s “In your Neighbourhood” Community Newsletter, emails to subscribers of the Get Involved project page, and via social media.
Response to the Exhibition
Seven submissions were received, including five survey responses and two written submissions. One of the submissions was provided by the Urban Development Institute of Australia, while the remainder were made by community members.
No submissions were received from Community Consultative Bodies or Local Aboriginal Land Councils. The following table provides a summary of the survey responses. There are no recommended adjustments to the draft Plan as a result of the responses.
|
Survey Comment |
Response |
|
Criticised the exhibition process, stating they were unaware of the draft Plan and that the documents were not available for viewing |
This survey was completed on day one of the exhibition. Documents were available to view online and in hardcopy at Council’s Nowra and Ulladulla offices. |
|
Noted that communities feel disenfranchised when their clear wishes are over-ridden by political agendas, and that many community members would not participate in planning and development matters as a result. Council is encouraged to acknowledge and support recommendations put forward by community groups. |
The purpose of the CPP is to identify opportunities for community engagement for planning and development matters.
The draft Plan achieves this by providing minimum standards for, and opportunities to extend, community engagement activities on planning and development matters. |
|
There is nothing in the draft Plan to address cost recovery, particularly in relation to tourism. |
Not the role of a CPP. |
|
Expressed dissatisfaction with the document and suggested more face-to-face communication. |
Council does undertake face-to-face consultation where necessary, as detailed in the CPP. |
|
Dissatisfied with the document but did not provide reasons. |
Noted. |
Policy and Statutory Implications
If adopted as recommended, the Community Participation Plan 2025 will replace Council’s current Plan and also rescind POL22/8: Community Consultation Policy for Development Applications (including Subdivision).
Council’s Community Engagement Strategy 2025-2029 will also be updated to include the new Plan.
Financial Implications-
There are no direct financial implications in adopting the CPP as recommended.
However, should Council resolve to retain the requirements for extending exhibition periods over the Christmas and New Year period, there may be future resultant financial implications (legal fees and staff time) due to a potential increase in the number of development applications being appealed as deemed refusals. The implications of this cannot be quantified at this time.
Risk Implications
There are no risks associated with adopting the CPP as recommended.
Risks however increase if the requirements for extending exhibition periods over the Christmas and New Year period are retained, presenting themselves as increased appeal and court activity and reduced ranking on the NSW Government’s league tables. requirements for extending exhibition periods over the Christmas and New Year period.
|
|
Ordinary Meeting – Tuesday 13 May 2025 Page 0 |
CL25.154 Proposed Amendment - Executed Voluntary Planning Agreement - Dedication of Land to include a Maintenance Contribution - Suncrest Ave, Sussex Inlet
HPERM Ref: D25/155993
Department: Strategic Planning
Approver: Lindsay Usher, Acting Director - City Development
Purpose:
The purpose of this report is to seek a resolution from Council to amend an executed Voluntary Planning Agreement (VPA) at Lot 22 DP 1270620, Suncrest Avenue, Sussex Inlet.
Summary and Key Points for Consideration:
On 18 June 2024 Council entered into a VPA related to the dedication of land for a drainage reserve that facilitates management of stormwater for a staged residential subdivision.
On 21 February 2025, Council received a formal written request from the developer to make the following amendments to the VPA:
· Reduction of the drainage reserve land dedication area from 4,303sqm to 1,505sqm.
· Inclusion of a maintenance contribution for the gross pollutant trap (GPT) stormwater treatment device for a period of 50 years.
|
That Council: 1. Provide ‘in principle’ support to negotiate an amendment to the VPA associated with SF10916 at Lot 22 DP 1270620, Suncrest Av, Sussex Inlet to: a. Reduce the drainage reserve land dedication area from 4,303sqm to 1,505sqm. b. Include a maintenance contribution from the developer for the gross pollutant trap (GPT) stormwater treatment device totalling $172,110.70. 2. Delegate authority to Council’s Chief Executive Officer, or his delegate, to a. Prepare the draft amendment to the VPA and associated Explanatory Note. b. Publicly exhibit the draft amendment to the VPA and associated Explanatory Note for a minimum period of 28 days as required by legislation. c. Where no feedback warranting consideration is received, proceed to amend the VPA consistent with the terms in this report, except where issues raised as a result of public notification result in substantial changes to the proposal, in which case Council will receive a further report prior to proceeding. 3. Notify the developer of this resolution.
|
Options
1. As recommended.
Implications: The proposed amendment to the VPA will result in a positive public benefit through the dedication of land and drainage infrastructure that is required to manage stormwater and maintain water quality from the proposed residential subdivision. The provision of a monetary contribution will contribute towards the cost of infrastructure maintenance for a period of 50 years which will benefit both the development and Council.
2. Adopt an alternative recommendation.
Implications: An alternative recommendation may have implications on the delivery timeframe and ongoing management of the residential subdivision and the water treatment device which could have environmental impacts on surrounding properties.
Background and Supplementary information
On 20 December 2023 Council granted a conditional development consent relating to a 45 lot residential subdivision (SF10916) at Suncrest Avenue and Lakeshore Parade, Sussex Inlet. The consent was issued subject to a deferred commencement condition requiring the execution and registration of a planning agreement (dedication of land) to be satisfied prior to the consent became operational.

Figure 1: Lot 22 DP 1270620 (the site)
The current executed VPA was entered into between Council and the developer (AMAL Trustees Pty Ltd, ATF Sussex Inlet Property Trust) on 18 June 2024. Operational development consent was then granted to SF10916 on 24 June 2024.
On 9 January 2025 Council received an application to modify the development consent as follows:
· Remove one approved residential lot.
· Reduce the size of the drainage lot (lot 43).
· Change the design of the bioretention basin including the inclusion of a Gross Pollutant Trap (GPT) stormwater treatment device.
The modification application is yet to be determined and on 27 February 2025, Council also received a formal request to amend the VPA to:
· Reduce the land area to be dedicated.
· Pay a monetary contribution for maintenance of the stormwater treatment device/GPT.
The following Figure 2 shows the development layout and proposed land dedication area as currently approved.
![]()
![]()

Figure 2: Approved Layout Plan SF10916 – land to be dedicated outlined in red
(adapted from plan by MAKER Engineers)
The following Figure 3 shows the proposed amended development layout and land dedication area.
![]()
![]()

Figure 3: Proposed Modified Layout Plan SF10916 (MA2024/1490)– land to be dedicated outlined in red
(adapted from plan by MAKER Engineers)
The proposed monetary contribution is for maintenance of the Atlan Vortceptor GPT. The total proposed amount is $172,110.70. This amount follows discussions that have occurred with Council staff and is calculated from annual expected maintenance costs over a period of 50 years.
Discussion and Recommendation
A rigorous merit-based assessment has been undertaken by Council staff in the assessment of the development proposal, including the most effective method of managing stormwater from the proposed residential subdivision.
Through the assessment process, Council initially advocated for the primary stormwater treatment to consist of a trash rack and sediment forebay as the preferred option for the most cost efficient means for ongoing maintenance (rather than a GPT). However the application now includes the provision of a funding source to offset the cost implications to Council for a period of 50 years.
In the context of this proposal, it remains in the public interest for the ongoing management of drainage infrastructure to be the responsibility of Council, and there is merit in facilitating the dedication of the land and the stormwater treatment device. As such, it is recommended that Council support the proposed amendments to the VPA to allow for the modification application to be determined as soon as possible and the subdivision works to continue to proceed.
Internal Consultations
Consultation was undertaken with relevant staff in Council’s City Development and City Services Directorates, specifically Development Services (assessment and engineering) and Works & Services.
General consensus was that the land and device are suitable for dedication and the proposed monetary contribution is appropriate to a general maintenance standard.
External Consultations
The proposed amendment to the existing VPA requires no external consultation with State Government agencies or the like.
Community Consultations
The Environmental Planning and Assessment Act 1979 requires that the amendment to a VPA be publicly notified for a minimum period of 28 days. The community will have an opportunity to provide feedback on the proposal through this process.
It is recommended that Council only receive another report post-exhibition if substantial issues are raised as a result of the public notification that directly relate to the scope/merits of the proposed VPA.
Policy and Statutory Implications
The proposed amendment to the VPA and publicly exhibition are consistent with Council’s Planning Agreement Policy and relevant legislation.
Financial Implications
In accordance with Council’s Planning Agreement Policy, the Developer will cover Council’s costs (direct and incidental) relating to the preparation and entering into the agreement (including associated legal costs) and enforcing the agreement. The provision of a monetary contribution for costs of development infrastructure is consistent with providing infrastructure outcomes in the public interest.
Risk Implications
The proposed land dedication and stormwater treatment device will be delivered at no cost to Council. The ongoing maintenance of the infrastructure will be subsidised by an up-front monetary contribution made prior to the transfer of the land into Councils ownership.
|
|
Ordinary Meeting – Tuesday 13 May 2025 Page 0 |
CL25.155 Shoalhaven Water Rebate Policies
HPERM Ref: D25/154711
Approver: Matthew Kidd, Manager - Water Asset Planning & Development
Attachments: 1. Revised - Payment Assistant Scheme - Water Accounts - Shoalhaven Water Rebate Policies Report (under separate cover) ⇨
2. Revised - Shoalhaven Water - Undetected Leak Rebate Policy - Shoalhaven Water Rebate Policies Report (under separate cover) ⇨
Purpose:
The review of all Public and Local Approval Policies has been the practice of each newly elected Council. This report will propose that Council consider and reaffirm the attached Policies.
Summary and Key Points for Consideration:
The attached Policies have been reviewed and updated with minor edits in wording, definitions and legislation references the changes proposed do not change the original policy intention.
|
That Council reaffirm the Payment Assistance Scheme & Undetected Leak Rebate Policies with minor changes and additions.
|
Options
1. Adopt the recommendation as written.
Implications: Minor changes will assist for currency and clarity. There are no significant changes.
2. Not adopt the recommendation.
Implications: Council can request further detail, seek further community input or make other changes.
Background and Supplementary information
The Policy attached to this report has been marked up with the proposed changes for consideration and adoption by Council and a summary of the changes to the policy are as follows:
Payment Assistance Scheme (PAS)
Changes proposed for this policy include additional definitions, clarifying statement in provisions section and responses to pertinent risk categories. Minor editing, rewording and formatting of the policy and updating to the new policy template have been marked up in the proposed policy for consideration.
Undetected Leak Rebate Policy
Changes proposed for this policy include additional definitions, an increase in the minimum water usages value and responses to pertinent risk categories. Minor editing, rewording and formatting of the policy and updating to the new policy template have been marked up in the proposed policy for consideration.
Internal Consultations
Key staff within Shoalhaven Water have been consulted and provided feedback on the changes proposed, no formal internal consultation across Council was conducted as the responsibility and application of the two polices are the responsibility of Shoalhaven Water.
External Consultations
No external consultation has been conducted as part of the review of these policies as no significant changes have been proposed in the review of this existing Policy.
Community Consultations
No community consultation has been conducted as part of the review of these policies as no significant change has been proposed.
Policy and Statutory Implications
Policy included in this report is proposed for reaffirmation, the nature of the changes are considered minor and therefore have no implications or deviation from the intent of the existing approved policies.
Financial Implications
No financial implications have been identified from the proposed changes. The increase in the minimum value is not expected to have a material impact, as most requests are over this new value.
Risk Implications
As no significant changes have been proposed, there is no change to the current risk implications of this Policy.
|
|
Ordinary Meeting – Tuesday 13 May 2025 Page 0 |
CL25.156 Submission Response - Policy - Water & Sewer Headworks Charges (Section 64 Contributions) Assistance for Developments
HPERM Ref: D25/166092
Department: Water Asset Planning & Development
Approver: Matthew Kidd, Acting Director - Shoalhaven Water
Attachments: 1. Revised Policy - Water & Sewerage Headworks Charges (Section 64 Contributions) - Assistance for Developments (under separate cover) ⇨
2. Submissions Responses - Policy - Water & Sewer Headworks Charges (Section 64 Contributions) Assistance for Developments (under separate cover) ⇨
Purpose:
This report seeks to advise Council of the responses received from the public exhibition of the Policy – Water & Sewer Headworks Charges (Section 64 Contributions) Assistance for Developments.
This report also seeks Council’s concurrence to the proposed modifications following the submissions received, and to endorse the revised Policy (Attachment 1).
Summary and Key Points for Consideration:
At the Ordinary Meeting of 18 February 2025, Council resolved to:
· Approve the modification of the Water & Sewerage Headworks Charges – Assistance for Developers Policy to come into effect on 1 July 2025.
· Publicly advertise the revised Policy in accordance with legislative requirements as soon as possible. If any significant submissions are received, these will be considered in a further report to enable the finalisation of the Policy. If no (or minor) submissions are received, then proceed to finalise the amendment to the Policy as notified, without any further reports. (MIN25.53).
|
That Council notes the submission received and the response to those submissions, and, 1. Approve the modifications to the Policy - Water & Sewer Headworks Charges (Section 64 Contributions), Assistance for Developments to reintroduce the Water Section 64 discount for the first 2 ETs for the subdivision of land. 2. Endorse the Policy – Water & Sewer Headworks Charges (Section 64 Contributions) Assistance for Developments, which will come into force on 1 July 2025.
|
Options
1. Council may elect to accept the UDIA's recommendations to maintain the current discounts applied to Section 64 charges and not increase the charges.
Implications: This is not recommended as the current financial position and significant deficit in the Sewer Section 64 funds will continue to be impacted by the continuation of this Policy.
2. Council may accept the recommendation from the submissions to phase in the charges over 4 years.
Implications: This is not recommended due to the current financial position and significant deficit in the Sewer Section 64 funds, which will continue to be impacted by the phasing in of these charges.
3. Council may accept the recommendation from the Moss Vale Rd North Urban Release Area Landowners Group and Jemalong Property Group for those developments with existing development consents for contributions to remain without any increase on the basis that the full Section 64 payment be made to Council by 30 June 2028, after which time the prevailing rate will apply.
Implications: This is not recommended as Council has already constructed over $50M worth of infrastructure to support the Moss Vale Rd URA and is constructing infrastructure to support the Mundamia URA, which is circa $5M. Recovery of these funds is essential to ensure Shoalhaven Water's long-term financial sustainability and to ensure there are sufficient funds to support growth and demand into the future.
4. Council may accept the recommendation from the UDIA to provide an exemption to the new Policy by only applying the new Policy to new development applications submitted after the Policy takes effect.
Implications: This is not recommended as the charges have been discounted over many years, allowing existing developments to take advantage of these discounts, which will continue until 1 July 2025. Continuation of the discount to existing development will also create a disparity between existing approvals and new applications for no justifiable reason.
Exemption of existing approvals will also continue to impact the sewer and water Section 64 reserves for many years, which may impact Shoalhaven Water’s ability to fund growth and demand in future years.
Background and Supplementary information
The “Water and Sewerage Headworks Charges (Section 64 Contributions) – Assistance for Developments” Policy (POL22/155) was introduced by the Council in 2013 as an interim measure to aid all types of developments while the State Government reviewed its 2002 Developer Charges Guidelines for Water Supply, Sewerage, and Stormwater. The Policy applies reduction amounts to the current charges in the Development Servicing Plans (DSPs) prepared under the 2002 Guidelines.
New guidelines were released in 2016, requiring an update of the city-wide Water Supply and Sewerage Strategies. This strategy information, including predictions for development, growth, and demand, was to be included in Council’s DSPs. Draft DSP documents were being finalised when Council faced back-to-back disasters, including the black summer bushfires, flooding, and COVID-19.
At an Extraordinary Meeting on 7 April 2020, Council resolved to increase assistance to local industry in recovering from COVID-19 impacts. The resolution stated:
“Section 64 Developer Contributions for water and sewer headworks charges continue to be discounted. The rate of discount be a uniform 75% in line with current Policy provisions for all development. Larger developments that currently only qualify for the 50% discount, shall now receive a 75% discount. Any proposal that has been approved where development contributions have not yet been paid qualify for the discount.”
In line with this resolution, the Policy was amended to increase the discount to 75% for all developments, with a report to be received after 12 months for consideration of re-adoption or discontinuation. In 2021, the Policy was readopted due to the ongoing COVID emergency and its impact on business and the community.
On 31 March 2022, Council resolved to discontinue the COVID assistance component of the Policy, following the end of Section 10.17, Environmental Planning and Assessment Act 1979: COVID-19 Pandemic – Ministerial Orders (2021). After public exhibition, the Policy reverted to the Section 64 Assistance Policy that existed before 7 April 2020.
In 2022, the existing Policy was reaffirmed while staff finalised the Shoalhaven Water Sewer and Water Strategies and revised the drafted DSPs that were shelved during the COVID-19 pandemic. With the strategies now complete and the DSPs due for release later this year, the current Policy requires major modification to manage Council’s long-term financial viability.
From 1 July 2013 to 31 December 2024, the total sum of Developer Contributions applicable was $99,891,449, with $41,553,631 collected. The total discount throughout the Policy equates to $58,337,818. This revenue loss has resulted in a significant decline in both the water and sewer funds. While the water fund remains positive, the sewer fund is currently in deficit by over $67 million due to major projects such as the REMS 1B Project and the Moss Vale Rd URA.
This deficit and the large capital work program will require significant investment over the next 5 to 15 years to achieve the renewals program determined by Council and ensure our water and sewer infrastructure can continue to deliver safe and secure services to Shoalhaven residents and visitors.
To address this issue, it was proposed to remove the Section 64 discount from all sewerage headworks charges for all types of development and remove the Section 64 discount for water headworks where the approved development involves the subdivision of land. The discount will only continue for residential, commercial, and industrial development for water supply. The Policy will remain in force until the Council finalises the DSPs later this year, when it is proposed to report back to Council to rescind this Policy and accept the new DSPs.
In line with legislative requirements, the Policy was advertised for 28 days, and submissions were received from the Urban Development Institute of Australia (UDIA), Moss Vale Road North Urban Release Area Landowners Group, and Jemalong Pty Ltd. A further submission was received from the Property Council of Australia after the exhibition period. All four submissions are included as attachments and are addressed as part of this report.
Three submissions had similar themes, requesting phasing in of the charges over four years, similar to the phasing of Developer charges in the Sydney Water area. It is important to note that these are not new charges, as with the Sydney Water DSP. These charges have been in place for many years and have been discounted. Shoalhaven Water has consistently advised the full charges and noted that the current discount policy may change, as noted on the Water Development Notice. While Council has been clear, it is also important to note that phasing in these charges will impact the income received, further affecting Shoalhaven Water’s reserves and our ability to develop infrastructure to support growth and demand.
The UDIA submission also requests reconsideration of the removal of the discount policy, based on housing affordability and ongoing housing shortfalls. Shoalhaven Water notes that the funds received from these charges are used to provide critical infrastructure to support growth and demand. Without these funds, Shoalhaven Water would need to raise income by increasing charges to subsidise future works.
By continuing the discount policy, the principles of developer contributions are not met, and the ongoing financial sustainability of Shoalhaven Water continues to be eroded, resulting in underfunded growth and demand projects.
While it is recommended not to support all the recommendations, Shoalhaven Water does recommend modifying the Policy to reinstate the Water Section 64 discount for the subdivision of land. The reintroduction of this discount will reduce the short-term impact and allow the finalisation of Shoalhaven Water Development Servicing Plans later this year.
Internal Consultations
No internal consultation has been proposed as this is a Public Policy.
External Consultations
In accordance with the requirements of the Local Government Act, the Policy was advertised for a period of 28 days. Three submissions were received from industry representatives before the closing of the advertising period, and one was received post-exhibition, however that submission is included as part of this report.
Community Consultations
Consultation was undertaken using the Council’s website and targeted consultation to industry representatives via direct email contact.
Policy and Statutory Implications
Water & Sewer Headworks Charges (Section 64 Contributions) Assistance for Developments Policy will be updated and finalised as resolved.
Financial Implications
The water and sewer funds will receive additional revenue following modifications to this Policy.
Risk Implications
A detailed risk assessment has been included in this Policy and risks are within Council’s Risk Appetite Statement.
|
|
Ordinary Meeting – Tuesday 13 May 2025 Page 0 |
Local Government act 1993
Chapter 3, Section 8A Guiding principles for councils
(1) Exercise of functions generally
The following general principles apply to the exercise of functions by councils:
(a) Councils should provide strong and effective representation, leadership, planning and decision-making.
(b) Councils should carry out functions in a way that provides the best possible value for residents and ratepayers.
(c) Councils should plan strategically, using the integrated planning and reporting framework, for the provision of effective and efficient services and regulation to meet the diverse needs of the local community.
(d) Councils should apply the integrated planning and reporting framework in carrying out their functions so as to achieve desired outcomes and continuous improvements.
(e) Councils should work co-operatively with other councils and the State government to achieve desired outcomes for the local community.
(f) Councils should manage lands and other assets so that current and future local community needs can be met in an affordable way.
(g) Councils should work with others to secure appropriate services for local community needs.
(h) Councils should act fairly, ethically and without bias in the interests of the local community.
(i) Councils should be responsible employers and provide a consultative and supportive working environment for staff.
(2) Decision-making
The following principles apply to decision-making by councils (subject to any other applicable law):
(a) Councils should recognise diverse local community needs and interests.
(b) Councils should consider social justice principles.
(c) Councils should consider the long term and cumulative effects of actions on future generations.
(d) Councils should consider the principles of ecologically sustainable development.
(e) Council decision-making should be transparent and decision-makers are to be accountable for decisions and omissions.
(3) Community participation
Councils should actively engage with their local communities, through the use of the integrated planning and reporting framework and other measures.
Chapter 3, Section 8B Principles of sound financial management
The following principles of sound financial management apply to councils:
(a) Council spending should be responsible and sustainable, aligning general revenue and expenses.
(b) Councils should invest in responsible and sustainable infrastructure for the benefit of the local community.
(c) Councils should have effective financial and asset management, including sound policies and processes for the following:
(i) performance management and reporting,
(ii) asset maintenance and enhancement,
(iii) funding decisions,
(iv) risk management practices.
(d) Councils should have regard to achieving intergenerational equity, including ensuring the following:
(i) policy decisions are made after considering their financial effects on future generations,
(ii) the current generation funds the cost of its services
Chapter 3, 8C Integrated planning and reporting principles that apply to councils
The following principles for strategic planning apply to the development of the integrated planning and reporting framework by councils:
(a) Councils should identify and prioritise key local community needs and aspirations and consider regional priorities.
(b) Councils should identify strategic goals to meet those needs and aspirations.
(c) Councils should develop activities, and prioritise actions, to work towards the strategic goals.
(d) Councils should ensure that the strategic goals and activities to work towards them may be achieved within council resources.
(e) Councils should regularly review and evaluate progress towards achieving strategic goals.
(f) Councils should maintain an integrated approach to planning, delivering, monitoring and reporting on strategic goals.
(g) Councils should collaborate with others to maximise achievement of strategic goals.
(h) Councils should manage risks to the local community or area or to the council effectively and proactively.
(i) Councils should make appropriate evidence-based adaptations to meet changing needs and circumstances.
[1] South Australia Environment Protection Authority, 2023, Evaluation distances for effective air quality and noise management
[2] GHD, 2016, Fisherman’s Bend Buffer Assessment. Prepared for Department of Environment, Land, Water and Planning
[4] Environment Protection Authority Victoria (2023) Planning guidance: Assessing an application for a concrete batching plant. A guide for land use planners.
[5] GHD, 2016, Fisherman’s Bend Buffer Assessment – Part A. Prepared for Department of Environment, Land, Water and Planning
[6] GHD, 2016, Fisherman’s Bend Buffer Assessment – Part B. Prepared for Department of Environment, Land, Water and Planning GHD Report